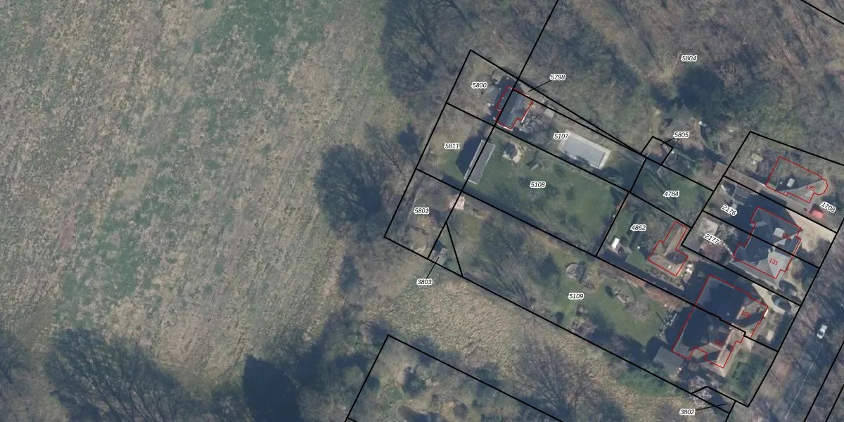
Perceel: BIL01-F-5801
Geen adressen bij dit perceel
210 m2 - 59 m
Eigenaar opvragen
BIL01-F-5801 (De Bilt)
- Geen postcode aanwezig
msM6tIJHjBY0mF nSQ UCKHub0US43Upgrade naar KadastraleKaart Pro
Bekijk op Street View
Download DWG/DXF/Excel
QMxNPiOqKUpgrade naar KadastraleKaart Pro
62CbTz0K9WnNxs OhT2K Upgrade naar KadastraleKaart Pro
3Z3iI1wP3SoCUpgrade naar KadastraleKaart Pro
Lk aEQes2xVjFke0z3yjUpgrade naar KadastraleKaart Pro
gE XyHWVCU vh7JiUpgrade naar KadastraleKaart Pro
ff pBMxSFA 2xVlm Upgrade naar KadastraleKaart Pro
vWxjtZv47 jtoQ6V8QZ Upgrade naar KadastraleKaart Pro
ODKvZPISN3topWImNfv34Upgrade naar KadastraleKaart Pro
JJNkLe O7wN NAbeuUpgrade naar KadastraleKaart Pro
h wkUu v4qWCgUpgrade naar KadastraleKaart Pro
22/09/2017

Percelen
Gebruik de zoekbalk of klik op een perceel om informatie over het perceel te bekijken.