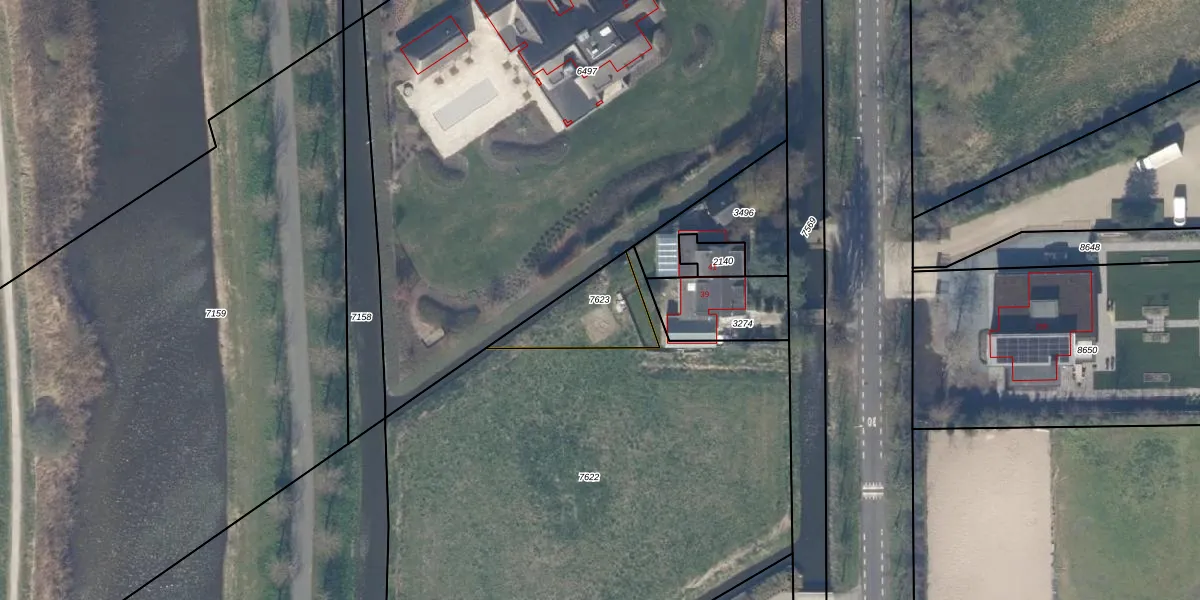
Perceel: BKL01-C-7623
Geen adressen bij dit perceel
234 m2 - 75 m
Eigenaar opvragen
BKL01-C-7623 (Berkel en Rodenrijs)
- Geen postcode aanwezig
bTnw0VbAFM1OTAvefhPdUpgrade naar KadastraleKaart Pro
Bekijk op Street View
Download DWG/DXF/Excel
tF3eaOEa Pu01k PQ3kUpgrade naar KadastraleKaart Pro
Xr QYsON3TrEAFZUpgrade naar KadastraleKaart Pro
5PRU9pA Y2Upgrade naar KadastraleKaart Pro
Q rO2YDk0fUFUUpgrade naar KadastraleKaart Pro
DvISU EJUpgrade naar KadastraleKaart Pro
qIu7KchKZUpgrade naar KadastraleKaart Pro
iK8uR THUpgrade naar KadastraleKaart Pro
TDhWKuMSRzQigbUpgrade naar KadastraleKaart Pro
fFn1 VDacViGo1XOPUpgrade naar KadastraleKaart Pro
Se U8WDjVIUpgrade naar KadastraleKaart Pro
23/07/2025

Percelen
Gebruik de zoekbalk of klik op een perceel om informatie over het perceel te bekijken.