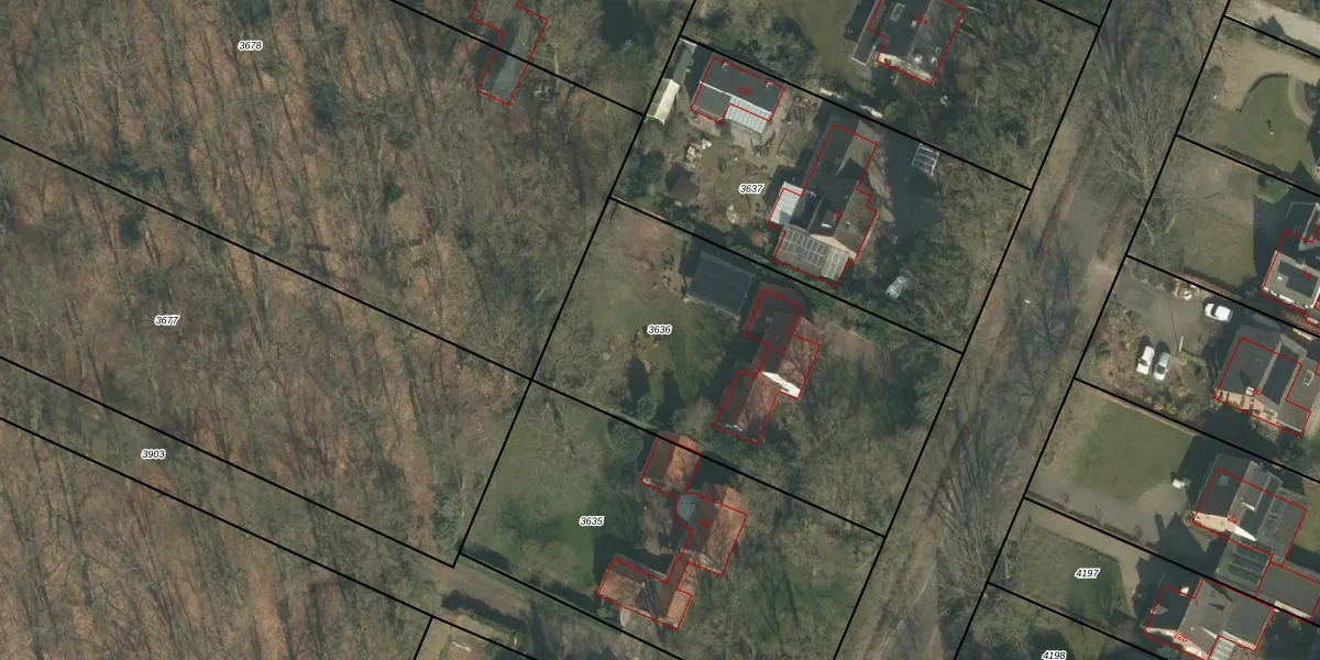
Perceel: BKL02-A-3636
KadastraleKaart.com kan meer dan je denktOntdek meer ›
Filter op bestemming 50+ datasets Eigendomsdata in één klik Percelen CRM
1.740 m2 - 178 m
Eigenaar opvragen
BKL02-A-3636 (Bakel en Milheeze)
- 5764 PE
QJ Zh oHnuf rCvpAVUpgrade naar KadastraleKaart Pro
Verkoopprijs opvragen
Bekijk op Street View
Download DWG/DXF/Excel
JbgGctWh2ousSpIvFUpgrade naar KadastraleKaart Pro
5np 2Bq Upgrade naar KadastraleKaart Pro
xwHxh8J08Sqt vyiClNUpgrade naar KadastraleKaart Pro
iKhj4bfFMW3MDexI21NHUpgrade naar KadastraleKaart Pro
0cQ Q80MDVk3wnP0Rl1yX3Upgrade naar KadastraleKaart Pro
f41ds00nQ7vaS8K9sev8dUpgrade naar KadastraleKaart Pro
cusTbv1mUpgrade naar KadastraleKaart Pro
u97s9C iBNoLZJUpgrade naar KadastraleKaart Pro
N2 AS5syLUpgrade naar KadastraleKaart Pro
ho8j2LYFDUpgrade naar KadastraleKaart Pro
02/03/2010

Percelen
Gebruik de zoekbalk of klik op een perceel om informatie over het perceel te bekijken.