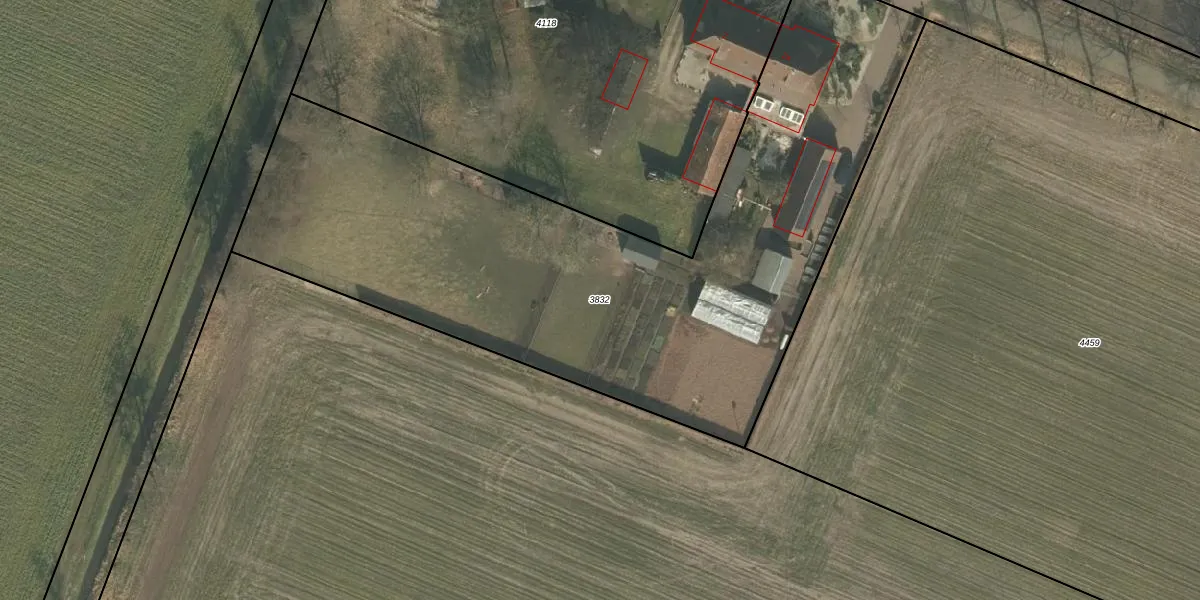
Perceel: BKL02-A-3832
KadastraleKaart.com kan meer dan je denktOntdek meer ›
Filter op bestemming 50+ datasets Eigendomsdata in één klik Percelen CRM
3.625 m2 - 344 m
Eigenaar opvragen
BKL02-A-3832 (Bakel en Milheeze)
- 5764 RJ
3Yz5RxdcOlJh xscm0lXN6IgoKcf0TUpgrade naar KadastraleKaart Pro
Bekijk op Street View
Download DWG/DXF/Excel
frsaX1lim aHVUpgrade naar KadastraleKaart Pro
KlnEx Upgrade naar KadastraleKaart Pro
tRu3MxcOye81m1CjUpgrade naar KadastraleKaart Pro
95XSR73HFnxl hd91ISUpgrade naar KadastraleKaart Pro
GY2WMQwW S9zhAYm hYVNsUpgrade naar KadastraleKaart Pro
uD aCztbwUpgrade naar KadastraleKaart Pro
2Cp54OW2 PICDQB2P 6Upgrade naar KadastraleKaart Pro
6STiveXHUpgrade naar KadastraleKaart Pro
tjMS1RPD2Upgrade naar KadastraleKaart Pro
gPLgohXGg0eSPJu5EwnCTQUpgrade naar KadastraleKaart Pro
31/03/2005

Percelen
Gebruik de zoekbalk of klik op een perceel om informatie over het perceel te bekijken.