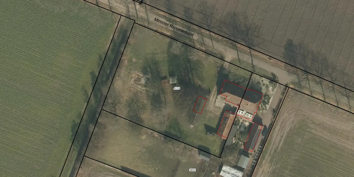
Perceel: BKL02-A-4118
3.699 m2 - 249 m
Eigenaar opvragen
BKL02-A-4118 (Bakel en Milheeze)
- 5764 RJ
NDrmniLXB2o2f H9zH6FyqTaUpgrade naar KadastraleKaart Pro
Bekijk op Street View
Download DWG/DXF/Excel
fAgwlqd8lUpgrade naar KadastraleKaart Pro
fWPPF AmAqUG7J0 S8rZpUpgrade naar KadastraleKaart Pro
J2UsrbQ8u2HH YP RqfmUpgrade naar KadastraleKaart Pro
6HCC bsUpgrade naar KadastraleKaart Pro
0zvZFvMUpgrade naar KadastraleKaart Pro
n2zAIW2xF Upgrade naar KadastraleKaart Pro
jAz 2nfIs USu2NbwGvUpgrade naar KadastraleKaart Pro
bXFNsbxNuS EJhOWUwGdurUpgrade naar KadastraleKaart Pro
Xga Bxsok1SAvIIL ZuUpgrade naar KadastraleKaart Pro
z E DR peBey JPDlppUpgrade naar KadastraleKaart Pro
31/03/2005

Percelen
Gebruik de zoekbalk of klik op een perceel om informatie over het perceel te bekijken.