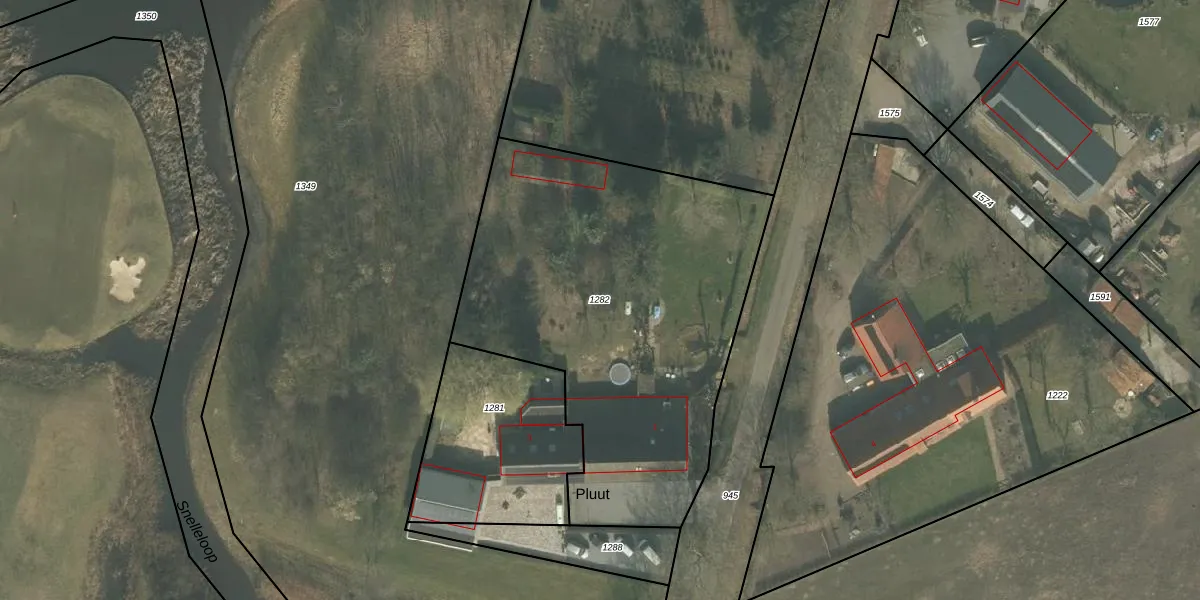
Perceel: BKL02-B-1282
KadastraleKaart.com kan meer dan je denktOntdek meer ›
Filter op bestemming 50+ datasets Eigendomsdata in één klik Percelen CRM
2.197 m2 - 210 m
Eigenaar opvragen
BKL02-B-1282 (Bakel en Milheeze)
- 5761 RS
zoOVNYr032DiO4 lF cUtWSNrKXUMSUpgrade naar KadastraleKaart Pro
Bekijk op Street View
Download DWG/DXF/Excel
2urL3qG9Upgrade naar KadastraleKaart Pro
S LspzjY Q vSovsTeUpgrade naar KadastraleKaart Pro
muHKxdcOprdBi5tZeBUpgrade naar KadastraleKaart Pro
NVSNg2yS27GrZJP b0qXUpgrade naar KadastraleKaart Pro
diXsivUGVwcA itSLOs Upgrade naar KadastraleKaart Pro
d3n8XKnXNgLo4E1cUpgrade naar KadastraleKaart Pro
R4sTg2kqIW2GjUpgrade naar KadastraleKaart Pro
407EoRBS a2HkUpgrade naar KadastraleKaart Pro
K 2vC 4499MDmdOJYz8hgUpgrade naar KadastraleKaart Pro
G 8yn3 e2bWOSUpgrade naar KadastraleKaart Pro
20/02/2012

Percelen
Gebruik de zoekbalk of klik op een perceel om informatie over het perceel te bekijken.