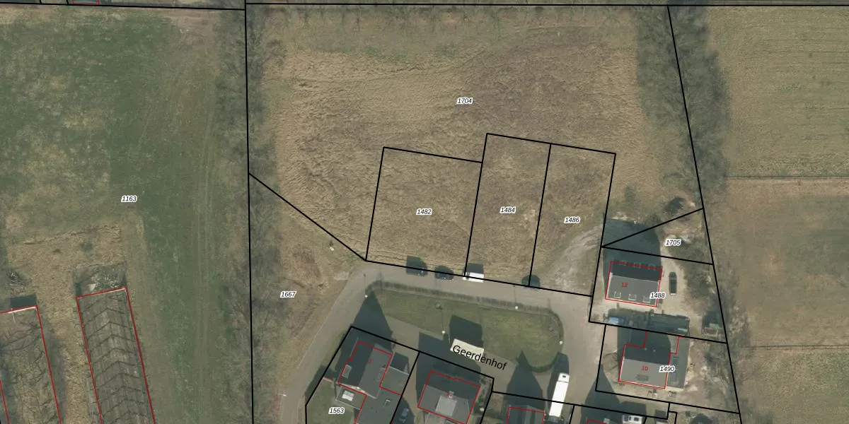
Perceel: BKL02-B-1482
KadastraleKaart.com kan meer dan je denktOntdek meer ›
Filter op bestemming 50+ datasets Eigendomsdata in één klik Percelen CRM
Geen adressen bij dit perceel
645 m2 - 101 m
Eigenaar opvragen
BKL02-B-1482 (Bakel en Milheeze)
- Geen postcode aanwezig
ZMv7kU7H6qrQCZ5OZ3mdHZM566RQGQbUpgrade naar KadastraleKaart Pro
Bekijk op Street View
Download DWG/DXF/Excel
zXWIYQzpt0bHs0ZgO MUpgrade naar KadastraleKaart Pro
HVaAC2YHZ xMUO EQNpLhbUpgrade naar KadastraleKaart Pro
4jGFWA mVdmR 44S7Upgrade naar KadastraleKaart Pro
xiDQEBswe hZSFU mIAlUpgrade naar KadastraleKaart Pro
GrbhhAWnWQR0CfyHw Upgrade naar KadastraleKaart Pro
vRdK1YuanYUpgrade naar KadastraleKaart Pro
ePq Dg FOUpgrade naar KadastraleKaart Pro
moTrxBgKUpgrade naar KadastraleKaart Pro
zRF QVTc3Dwn1Wruwn0Upgrade naar KadastraleKaart Pro
Qjn74SDd6II7yiw0m 9PBqlUpgrade naar KadastraleKaart Pro
15/04/2020

Percelen
Gebruik de zoekbalk of klik op een perceel om informatie over het perceel te bekijken.