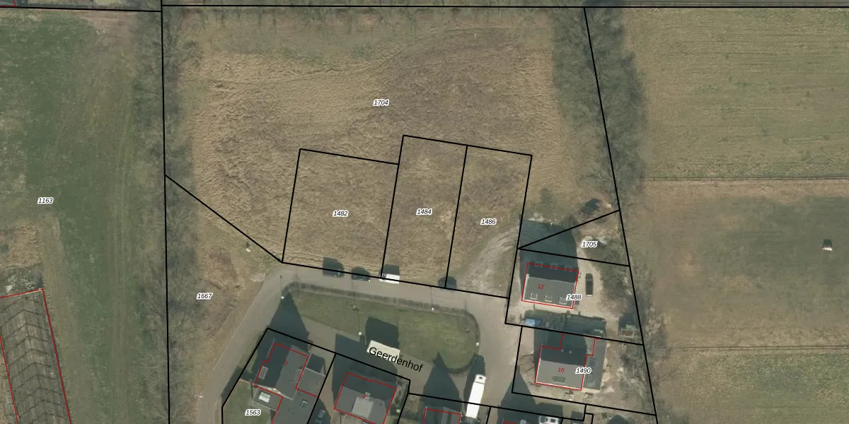
Perceel: BKL02-B-1484
KadastraleKaart.com kan meer dan je denktOntdek meer ›
Filter op bestemming 50+ datasets Eigendomsdata in één klik Percelen CRM
Geen adressen bij dit perceel
526 m2 - 99 m
Eigenaar opvragen
BKL02-B-1484 (Bakel en Milheeze)
- Geen postcode aanwezig
FfP GHQFKlVj YXU7kJds6 vXu5C7Upgrade naar KadastraleKaart Pro
Bekijk op Street View
Download DWG/DXF/Excel
Rbl6c5q70t RLh qT9toPUpgrade naar KadastraleKaart Pro
I uHQaJKP7bAOUpgrade naar KadastraleKaart Pro
NZhOXFpGUpgrade naar KadastraleKaart Pro
sxBgJw2LQ9aTYdcUpgrade naar KadastraleKaart Pro
IHL rLA1MSvAf8Upgrade naar KadastraleKaart Pro
2VPVhHCwLU5Wy67IUpgrade naar KadastraleKaart Pro
MBtEaYUykDVHjwTOnkw PUkUpgrade naar KadastraleKaart Pro
86 BOG0 z kLC3Upgrade naar KadastraleKaart Pro
BMk u4SfN8DkhYLf 7DeUpgrade naar KadastraleKaart Pro
Tfaez j Upgrade naar KadastraleKaart Pro
15/04/2020

Percelen
Gebruik de zoekbalk of klik op een perceel om informatie over het perceel te bekijken.