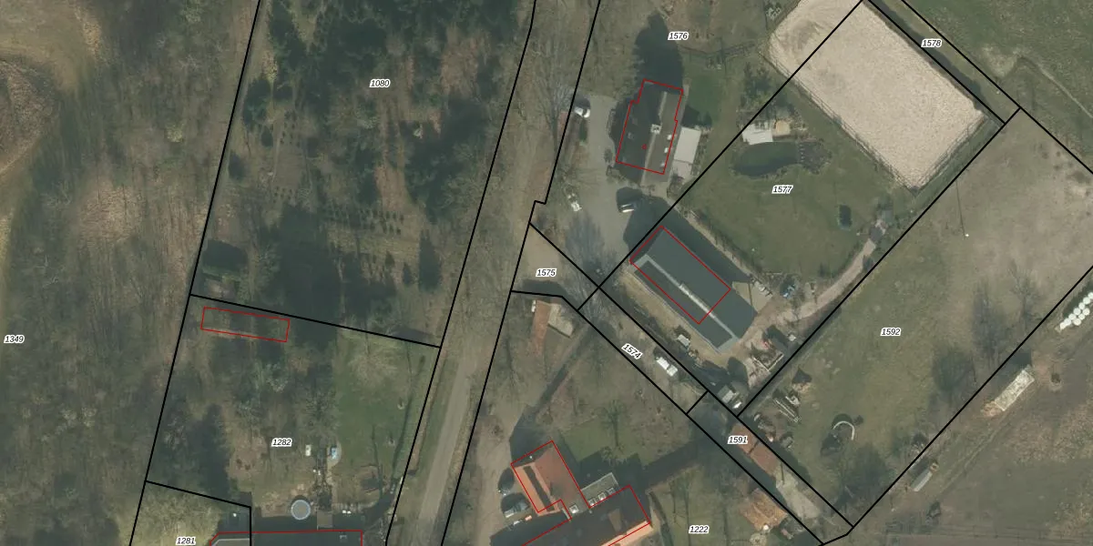
Perceel: BKL02-B-1575
KadastraleKaart.com kan meer dan je denktOntdek meer ›
Filter op bestemming 50+ datasets Eigendomsdata in één klik Percelen CRM
Geen adressen bij dit perceel
123 m2 - 49 m
Eigenaar opvragen
BKL02-B-1575 (Bakel en Milheeze)
- Geen postcode aanwezig
qolA2M3ED Z6Dn AE1 ILflzZrNJ Upgrade naar KadastraleKaart Pro
Bekijk op Street View
Download DWG/DXF/Excel
zDp q4BixXTrAskUpgrade naar KadastraleKaart Pro
s7T50XHJ RNDGYLa OIDUpgrade naar KadastraleKaart Pro
540bzO56sUpgrade naar KadastraleKaart Pro
xmav2 xK lxQn mFzG6Upgrade naar KadastraleKaart Pro
vbL3Kfq5GVtqJ4W Upgrade naar KadastraleKaart Pro
OSdwyznThWBpHASxUpgrade naar KadastraleKaart Pro
7m6uUP FFc9LfOKIz HUpgrade naar KadastraleKaart Pro
gG4DXDTmQzrOxiBldUpgrade naar KadastraleKaart Pro
LK A rYUpgrade naar KadastraleKaart Pro
Y Ws dh9lZYYd0g9Z o2Upgrade naar KadastraleKaart Pro
28/03/2017

Percelen
Gebruik de zoekbalk of klik op een perceel om informatie over het perceel te bekijken.