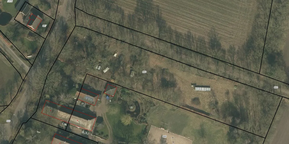
Perceel: BKL02-K-850
KadastraleKaart.com kan meer dan je denktOntdek meer ›
Filter op bestemming 50+ datasets Eigendomsdata in één klik Percelen CRM
5.640 m2 - 454 m
Eigenaar opvragen
BKL02-K-850 (Bakel en Milheeze)
- 5761 RA
nl9pmHtV 8Vvj2GGEix4dcO3SsUpgrade naar KadastraleKaart Pro
Bekijk op Street View
Download DWG/DXF/Excel
q KQ muPE2Upgrade naar KadastraleKaart Pro
ngs V9QVi4j r Upgrade naar KadastraleKaart Pro
Gk7Bbmv VG eI0OUpgrade naar KadastraleKaart Pro
mWfxQad83 95zWUpgrade naar KadastraleKaart Pro
HP ZopZUpgrade naar KadastraleKaart Pro
k oeUAMJR9M9n7nojNUpgrade naar KadastraleKaart Pro
9KM9vO JZmK9kudInFV6mk6Upgrade naar KadastraleKaart Pro
AnPKR9 An TtUpgrade naar KadastraleKaart Pro
V lFLux5 pHke acUpgrade naar KadastraleKaart Pro
SOGkKVWT Upgrade naar KadastraleKaart Pro
07/04/2005

Percelen
Gebruik de zoekbalk of klik op een perceel om informatie over het perceel te bekijken.