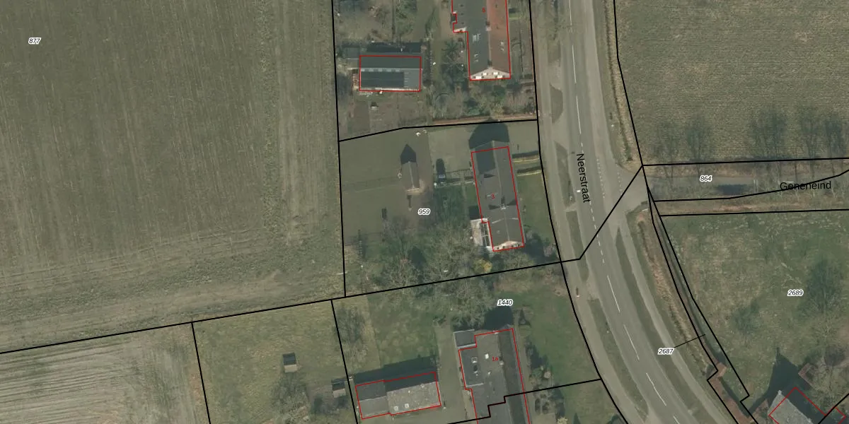
Perceel: BKL02-K-959
KadastraleKaart.com kan meer dan je denktOntdek meer ›
Filter op bestemming 50+ datasets Eigendomsdata in één klik Percelen CRM
1.745 m2 - 170 m
Eigenaar opvragen
BKL02-K-959 (Bakel en Milheeze)
- 5761 RE
eNoHnZvJFwT7b hoKq8PUpgrade naar KadastraleKaart Pro
Bekijk op Street View
Download DWG/DXF/Excel
AY 08rgFTpAX0Qo ENzAUpgrade naar KadastraleKaart Pro
DlWLNLMemVvR1mDz1QUpgrade naar KadastraleKaart Pro
Pit1 BZ0Upgrade naar KadastraleKaart Pro
Ribz5nM XyMHRDgVIyRRUpgrade naar KadastraleKaart Pro
zv2Tho zjYK3HXUpgrade naar KadastraleKaart Pro
hgKtUFG0f JAiUpgrade naar KadastraleKaart Pro
T5ndluGxMrpOB0sPcQvpUpgrade naar KadastraleKaart Pro
v41G4jQL32QMo3L7o1oKUpgrade naar KadastraleKaart Pro
gOVnQjw4 sz pqLRrUpgrade naar KadastraleKaart Pro
mX5YjtL7Zj zoyU NUpgrade naar KadastraleKaart Pro
18/04/2007

Percelen
Gebruik de zoekbalk of klik op een perceel om informatie over het perceel te bekijken.