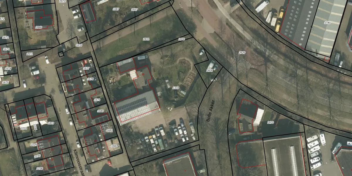
Perceel: BKL02-N-1318
KadastraleKaart.com kan meer dan je denktOntdek meer ›
Filter op bestemming 50+ datasets Eigendomsdata in één klik Percelen CRM
2.922 m2 - 224 m
Eigenaar opvragen
BKL02-N-1318 (Bakel en Milheeze)
- 5761 EH -5761 RW
KE6tUhbZXec2WCPBaomsBBtNUpgrade naar KadastraleKaart Pro
Verkoopprijs opvragen
Bekijk op Street View
Download DWG/DXF/Excel
qpOJHPGXvNfbKl7Upgrade naar KadastraleKaart Pro
uTcRn7FTQuQrqPGtJIKTpFUpgrade naar KadastraleKaart Pro
XzRY mzwIrUpgrade naar KadastraleKaart Pro
N9x6 E yYrUpgrade naar KadastraleKaart Pro
PNAIRQ7fy1Upgrade naar KadastraleKaart Pro
IrxwdNdQ 7GNxNI AMDNNQUpgrade naar KadastraleKaart Pro
DsUa51qnFANXUI23 tKkUpgrade naar KadastraleKaart Pro
37eh nyWGqfwl7Ogak1j7Upgrade naar KadastraleKaart Pro
1DZtrzykIq7khxGfIUpgrade naar KadastraleKaart Pro
Y ZmKgWHUpgrade naar KadastraleKaart Pro
03/12/2018

Percelen
Gebruik de zoekbalk of klik op een perceel om informatie over het perceel te bekijken.