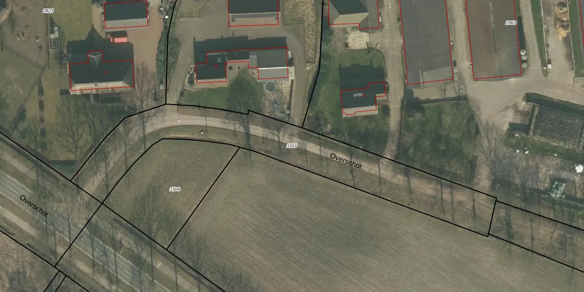
Perceel: BKL02-N-1503
KadastraleKaart.com kan meer dan je denktOntdek meer ›
Filter op bestemming 50+ datasets Eigendomsdata in één klik Percelen CRM
Geen adressen bij dit perceel
2.020 m2 - 338 m
Eigenaar opvragen
BKL02-N-1503 (Bakel en Milheeze)
- Geen postcode aanwezig
CwEIB HhI9F27zpjUbQfUpgrade naar KadastraleKaart Pro
Bekijk op Street View
Download DWG/DXF/Excel
DjOJ FrCpwEZMvjfvGh2tUpgrade naar KadastraleKaart Pro
YsW r1 mgUpgrade naar KadastraleKaart Pro
TcICj3jYQqgWfhiKUpgrade naar KadastraleKaart Pro
dFtcx r7UosfNpj rC7I CAUpgrade naar KadastraleKaart Pro
ZujXFiVa5ULmw8q5gNZAuUpgrade naar KadastraleKaart Pro
k SIadwzIe63AL bQ7M w XUpgrade naar KadastraleKaart Pro
r3Qb5pRXZ7igJ3Upgrade naar KadastraleKaart Pro
n jBaljYajlWiuq5TUpgrade naar KadastraleKaart Pro
veGkAaaY GyxETcK06ixFFUpgrade naar KadastraleKaart Pro
Z41IQj 9Upgrade naar KadastraleKaart Pro
21/08/2007

Percelen
Gebruik de zoekbalk of klik op een perceel om informatie over het perceel te bekijken.