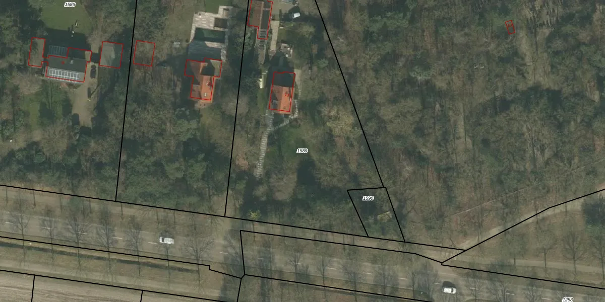
Perceel: BKL02-P-1589
KadastraleKaart.com kan meer dan je denktOntdek meer ›
Filter op bestemming 50+ datasets Eigendomsdata in één klik Percelen CRM
3.260 m2 - 288 m
Eigenaar opvragen
BKL02-P-1589 (Bakel en Milheeze)
- 5761 RP
83z50QwRWinc2DHKUpgrade naar KadastraleKaart Pro
Verkoopprijs opvragen
Bekijk op Street View
Download DWG/DXF/Excel
FkFM96kmUpgrade naar KadastraleKaart Pro
iAOjN 0p Upgrade naar KadastraleKaart Pro
jUoMb1BojE1Upgrade naar KadastraleKaart Pro
yu59PPnqi TytCcUpgrade naar KadastraleKaart Pro
RPaAL8Go7lxvcSS9qx25Upgrade naar KadastraleKaart Pro
zET ZdKaN5J1ZASaUpgrade naar KadastraleKaart Pro
SoGCkd4d7DiUpgrade naar KadastraleKaart Pro
FVMrmphcWkoOtfUpgrade naar KadastraleKaart Pro
W2V6r1EI5PpIodcV JUpgrade naar KadastraleKaart Pro
nQHeWzlRWcALUpgrade naar KadastraleKaart Pro
19/05/2006

Percelen
Gebruik de zoekbalk of klik op een perceel om informatie over het perceel te bekijken.