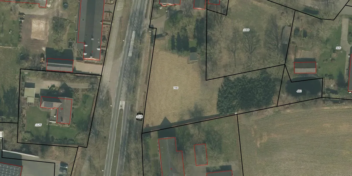
Perceel: BKL02-S-790

Adres bij perceel

Perceeloppervlakte & perceelomtrek

3.597 m2 - 318 m

Eigenaar van het perceel

Eigenaar opvragen

Kadastrale aanduiding

BKL02-S-790 (Bakel en Milheeze)

Postcode in perceel

    5763 PJ

Type eigenaar

WHrmGNRJnSMQE Xc PqUAHo3E6fUpgrade naar KadastraleKaart Pro

Google Street View

Bekijk op Street View

Download

Download DWG/DXF/Excel

Gerelateerde percelen

bCsMTWJ9XuJwZkJoKk XUpgrade naar KadastraleKaart Pro

Bebouwd/onbebouwd/water/groen

ss K qieAlS iB8P ULL AYUpgrade naar KadastraleKaart Pro
Administratieve eenheden
AoO750c ytmUpgrade naar KadastraleKaart Pro

Appartementsrechten

gnfv1QVF8 BzUpgrade naar KadastraleKaart Pro

Vergunningverlenende instanties

mVnhyLT GLUpgrade naar KadastraleKaart Pro

Bedekking (BGT)

R1Sbwy0Of7HUpgrade naar KadastraleKaart Pro

Publiekrechtelijke beperkingen

xJ2E8uEiPLmWlFGPRQXUpgrade naar KadastraleKaart Pro

Grensnauwkeurigheid

Mb2 KJJ EyUpgrade naar KadastraleKaart Pro

Coördinaten hoekpunten perceel

2LzWds5egE OI 0FlUpgrade naar KadastraleKaart Pro

Hoogteligging

SebnlZz cXAR5OuMsaCUpgrade naar KadastraleKaart Pro

Laatst gewijzigd

20/06/2025

Kadastrale kaart met maatvoering 59,95
Kadastrale kaart pakket 28,95

Percelen

Gebruik de zoekbalk of klik op een perceel om informatie over het perceel te bekijken.
Locatie
Meten
Lagen
Download