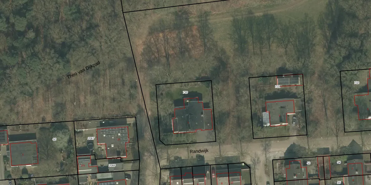
Perceel: BKL02-T-730
KadastraleKaart.com kan meer dan je denktOntdek meer ›
Filter op bestemming 50+ datasets Eigendomsdata in één klik Percelen CRM
987 m2 - 124 m
Eigenaar opvragen
BKL02-T-730 (Bakel en Milheeze)
- 5761 AV
ehonJ2B iN 11cKCDz8hn058ersiI 6Upgrade naar KadastraleKaart Pro
Verkoopprijs opvragen
Bekijk op Street View
Download DWG/DXF/Excel
O9CntZLv3Upgrade naar KadastraleKaart Pro
u0bJrLu9vMUpgrade naar KadastraleKaart Pro
O aXI tUipUpgrade naar KadastraleKaart Pro
epjTwOwdy KXy Upgrade naar KadastraleKaart Pro
xpoMn11bsAB 3teGUpgrade naar KadastraleKaart Pro
HvJ hgA9qVHUpgrade naar KadastraleKaart Pro
Y7Nt LKTK 9S9fs9YbUpgrade naar KadastraleKaart Pro
GG UoWiHASEtXUpgrade naar KadastraleKaart Pro
dYcBSuG3Ch Upgrade naar KadastraleKaart Pro
cw1bn fn U2tMpk6udo7Upgrade naar KadastraleKaart Pro
03/10/2005

Percelen
Gebruik de zoekbalk of klik op een perceel om informatie over het perceel te bekijken.