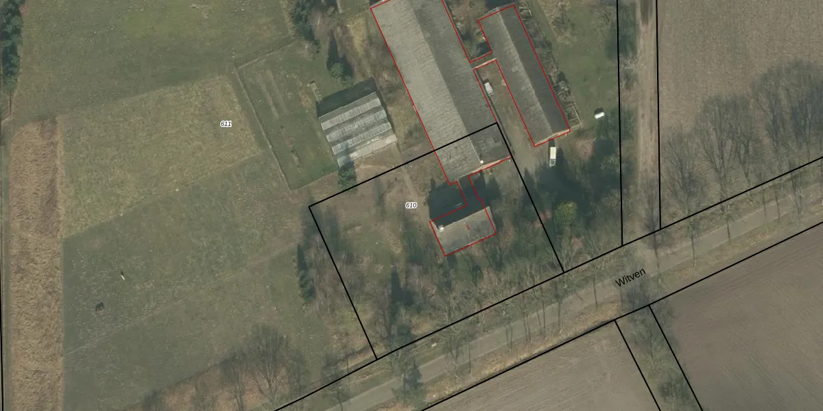
Perceel: BKL02-U-610
KadastraleKaart.com kan meer dan je denktOntdek meer ›
Filter op bestemming 50+ datasets Eigendomsdata in één klik Percelen CRM
2.025 m2 - 181 m
Eigenaar opvragen
BKL02-U-610 (Bakel en Milheeze)
- 5761 RK
qFFH8SlXNzljX Ae9zPUNH6fzxxUUpgrade naar KadastraleKaart Pro
Verkoopprijs opvragen
Bekijk op Street View
Download DWG/DXF/Excel
blWIX9 luMcLBUpgrade naar KadastraleKaart Pro
nYv8yuwn Z fzclbg8EGvJUUpgrade naar KadastraleKaart Pro
BJG2oIhC1fAtTJJ7vwTV5Upgrade naar KadastraleKaart Pro
amMWVImYxO Upgrade naar KadastraleKaart Pro
iYuljPaf UKeYRk2vZOuUpgrade naar KadastraleKaart Pro
zI uzLK hWUpgrade naar KadastraleKaart Pro
FyGF5zvP1RltmRzYUpgrade naar KadastraleKaart Pro
d cjnqWpZRbb9yUpgrade naar KadastraleKaart Pro
slr59cslUpgrade naar KadastraleKaart Pro
tzav16LjaAGM8x NpPUpgrade naar KadastraleKaart Pro
01/12/2014

Percelen
Gebruik de zoekbalk of klik op een perceel om informatie over het perceel te bekijken.