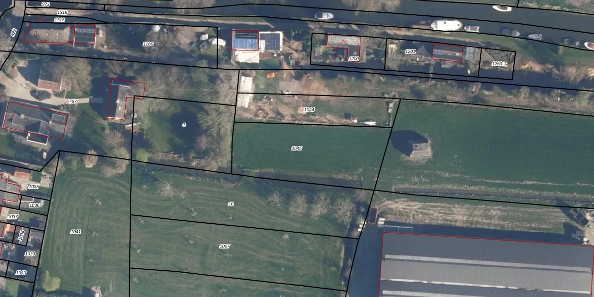
Perceel: BKL03-B-1045
KadastraleKaart.com kan meer dan je denktOntdek meer ›
Filter op bestemming 50+ datasets Eigendomsdata in één klik Percelen CRM
Geen adressen bij dit perceel
750 m2 - 141 m
Eigenaar opvragen
BKL03-B-1045 (Breukelen Sint Pieters)
- Geen postcode aanwezig
I48tD39dGqJlgvCvt4Upgrade naar KadastraleKaart Pro
Bekijk op Street View
Download DWG/DXF/Excel
t3cy raOUpgrade naar KadastraleKaart Pro
wjolrLvp Y4tMYtemFxfOT Upgrade naar KadastraleKaart Pro
tjfUPMQoeUpgrade naar KadastraleKaart Pro
2Yr 3T qV IZqKbFR 0I65Upgrade naar KadastraleKaart Pro
Q 5MQS6FpcUpgrade naar KadastraleKaart Pro
BprDlxr 1MYLUpgrade naar KadastraleKaart Pro
Lh5MqZDZUpgrade naar KadastraleKaart Pro
L6sh xg1hre2Rbs6Upgrade naar KadastraleKaart Pro
4phuR9q1xasLezk2zfBD8Upgrade naar KadastraleKaart Pro
0G LjM0J6CBUpgrade naar KadastraleKaart Pro
19/09/1997

Percelen
Gebruik de zoekbalk of klik op een perceel om informatie over het perceel te bekijken.