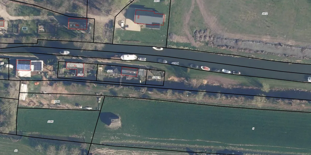
Perceel: BKL03-B-1260
KadastraleKaart.com kan meer dan je denktOntdek meer ›
Filter op bestemming 50+ datasets Eigendomsdata in één klik Percelen CRM
Geen adressen bij dit perceel
110 m2 - 42 m
Eigenaar opvragen
BKL03-B-1260 (Breukelen Sint Pieters)
- Geen postcode aanwezig
dh0 0D qUQRqqbSSvfi2Upgrade naar KadastraleKaart Pro
Bekijk op Street View
Download DWG/DXF/Excel
rE RRCSVJCkdDDDrqYzzYUpgrade naar KadastraleKaart Pro
Ap4ylz58dHE1KUpgrade naar KadastraleKaart Pro
j0 JebFKKtwUpgrade naar KadastraleKaart Pro
CIGCWI632Q pb32Upgrade naar KadastraleKaart Pro
n L7mW nv HDELUpgrade naar KadastraleKaart Pro
v26UktziAd7eoJfhUpgrade naar KadastraleKaart Pro
j5nCHYHfWdqqDYhX79UpUpgrade naar KadastraleKaart Pro
FAXRW bGUpgrade naar KadastraleKaart Pro
LuAT2g NxJBXUpgrade naar KadastraleKaart Pro
AEUETwrz6FEifFwk8PUpgrade naar KadastraleKaart Pro
18/08/2011

Percelen
Gebruik de zoekbalk of klik op een perceel om informatie over het perceel te bekijken.