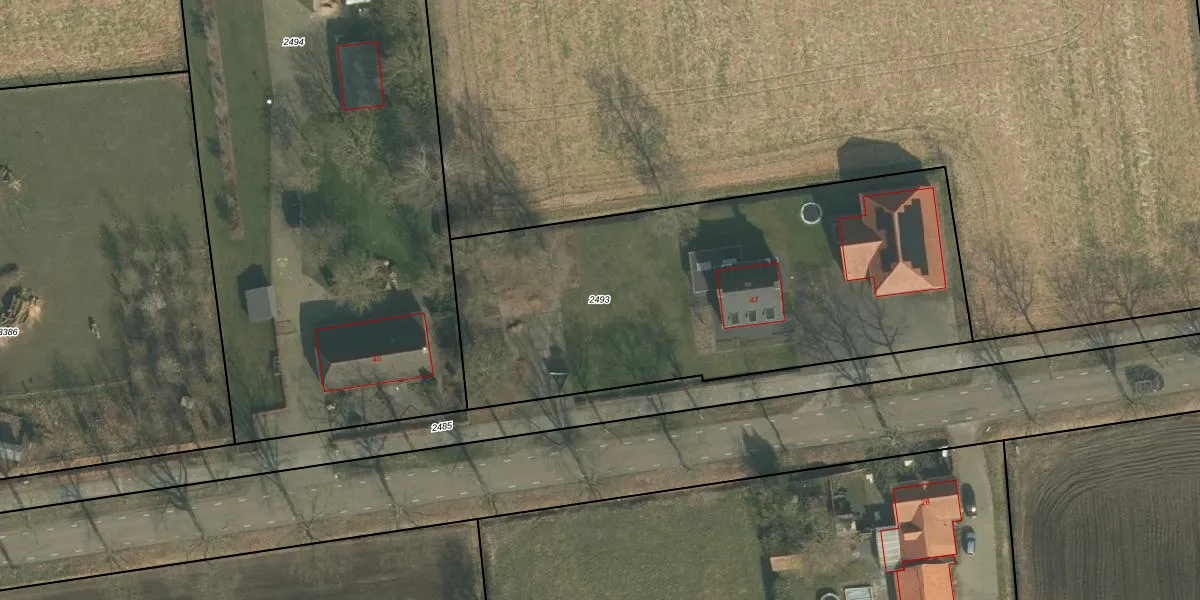
Perceel: BKL05-D-2493
KadastraleKaart.com kan meer dan je denktOntdek meer ›
Filter op bestemming 50+ datasets Eigendomsdata in één klik Percelen CRM
2.464 m2 - 227 m
Eigenaar opvragen
BKL05-D-2493 (Boekel)
- 5428 GD
AIn1qHN7r qkvMeq Upgrade naar KadastraleKaart Pro
Bekijk op Street View
Download DWG/DXF/Excel
CrCe8mMle6zGUpgrade naar KadastraleKaart Pro
QTu3yLB8SewQQvUf8EabHUpgrade naar KadastraleKaart Pro
zMFDpixOk n7vwvj2uWUpgrade naar KadastraleKaart Pro
0JgA6th nbM RMAu 26vzwUpgrade naar KadastraleKaart Pro
5kAICl6G4zyTpFc XHSUpgrade naar KadastraleKaart Pro
bC2 tixOfsXtGZJUpgrade naar KadastraleKaart Pro
bTQgSGgvAJb 60m tDBUpgrade naar KadastraleKaart Pro
mcjI3Jc7UF1pm oVh 7fbkUpgrade naar KadastraleKaart Pro
mGkOw3Dw22uNl53 UltVUpgrade naar KadastraleKaart Pro
H4ljpP3vPi0GvpIT d8sUpgrade naar KadastraleKaart Pro
01/02/2007

Percelen
Gebruik de zoekbalk of klik op een perceel om informatie over het perceel te bekijken.