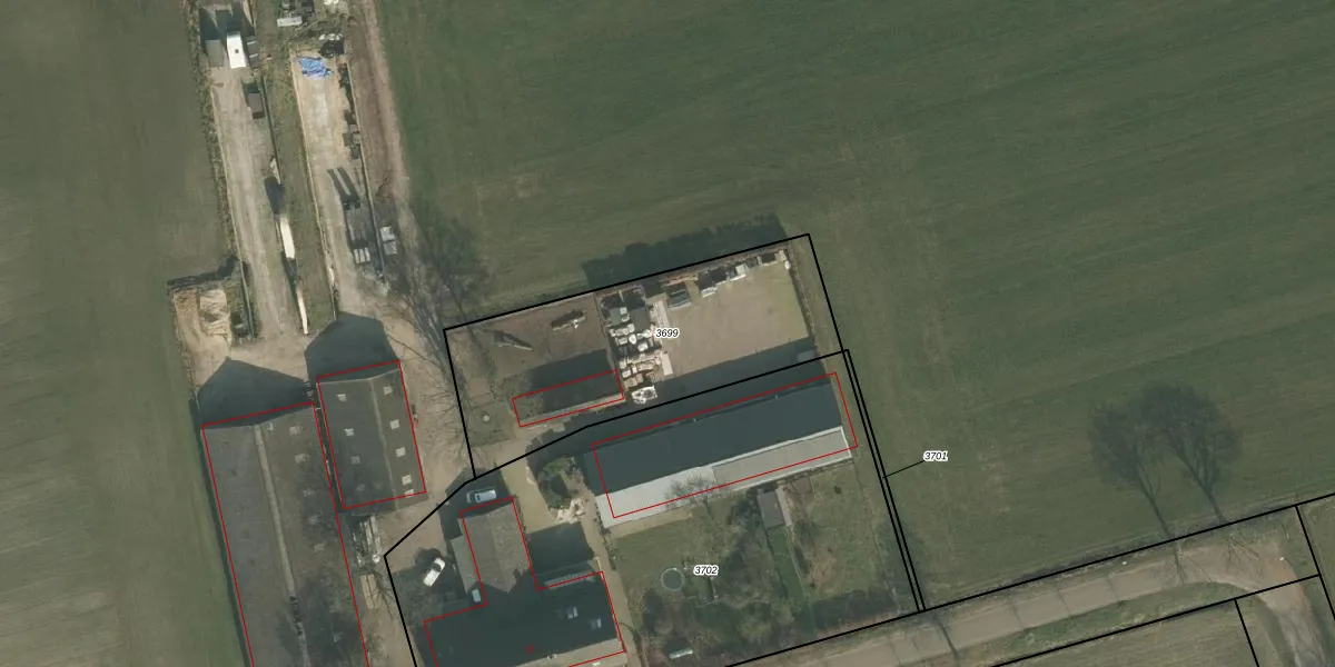
Perceel: BKL05-D-3699
KadastraleKaart.com kan meer dan je denktOntdek meer ›
Filter op bestemming 50+ datasets Eigendomsdata in één klik Percelen CRM
Geen adressen bij dit perceel
1.110 m2 - 156 m
Eigenaar opvragen
BKL05-D-3699 (Boekel)
- Geen postcode aanwezig
NNS69bFHgr 0TjDQ7ersT E9E43f Upgrade naar KadastraleKaart Pro
Bekijk op Street View
Download DWG/DXF/Excel
pCqqB30cl4eP7Ne2Upgrade naar KadastraleKaart Pro
1 t8J7w1aBe7cUpgrade naar KadastraleKaart Pro
DzoOaKa8eUYUpgrade naar KadastraleKaart Pro
nzd6RRPqtNaUpgrade naar KadastraleKaart Pro
saoI jln4JZJa5OVE2BTvOUpgrade naar KadastraleKaart Pro
j zKu7 EfDWkxrCnUpgrade naar KadastraleKaart Pro
g9wi lunUpgrade naar KadastraleKaart Pro
SCu0xjcvhAcDPUpgrade naar KadastraleKaart Pro
uilSuZ8PUpgrade naar KadastraleKaart Pro
QG9L8 jYb s ZzC6Upgrade naar KadastraleKaart Pro
18/07/2022

Percelen
Gebruik de zoekbalk of klik op een perceel om informatie over het perceel te bekijken.