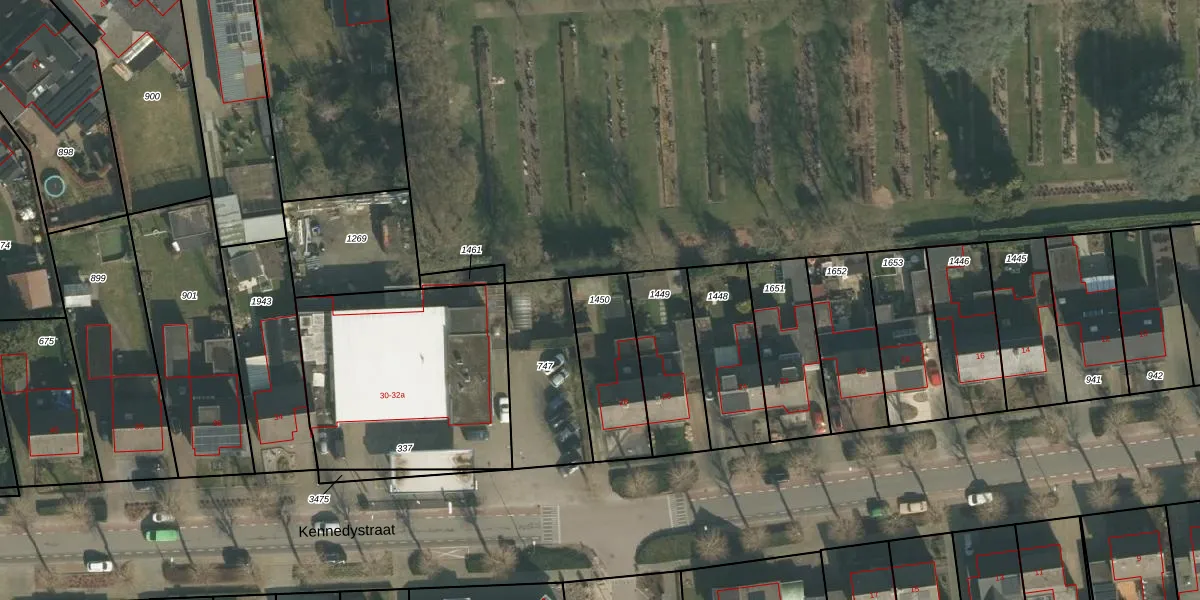
Perceel: BKL05-I-1450
KadastraleKaart.com kan meer dan je denktOntdek meer ›
Filter op bestemming 50+ datasets Eigendomsdata in één klik Percelen CRM
310 m2 - 82 m
Eigenaar opvragen
BKL05-I-1450 (Boekel)
- 5427 CJ
5yO xxkZiFbBKUmJs5EUpgrade naar KadastraleKaart Pro
Verkoopprijs opvragen
Bekijk op Street View
Download DWG/DXF/Excel
mNx kg4mG8 6K bEa3tIf8Upgrade naar KadastraleKaart Pro
NuitnE2fn8j0rf3 umsV6Upgrade naar KadastraleKaart Pro
QnbnYO9fJO66WEz MhqUpgrade naar KadastraleKaart Pro
w reOJhNP9wFZwUpgrade naar KadastraleKaart Pro
Gu Z AfysjmRfG01q9WcUpgrade naar KadastraleKaart Pro
7FQ3q5RyBoA8lLPG4a0Upgrade naar KadastraleKaart Pro
Kjd1HTBmGPlW44b8h4CUpgrade naar KadastraleKaart Pro
fsIFiQou 8ksMKUpgrade naar KadastraleKaart Pro
wk dsl1kudCrz1zkcnoUpgrade naar KadastraleKaart Pro
VwuNdecyb54U VXSCh IRzpUpgrade naar KadastraleKaart Pro
15/10/2008

Percelen
Gebruik de zoekbalk of klik op een perceel om informatie over het perceel te bekijken.