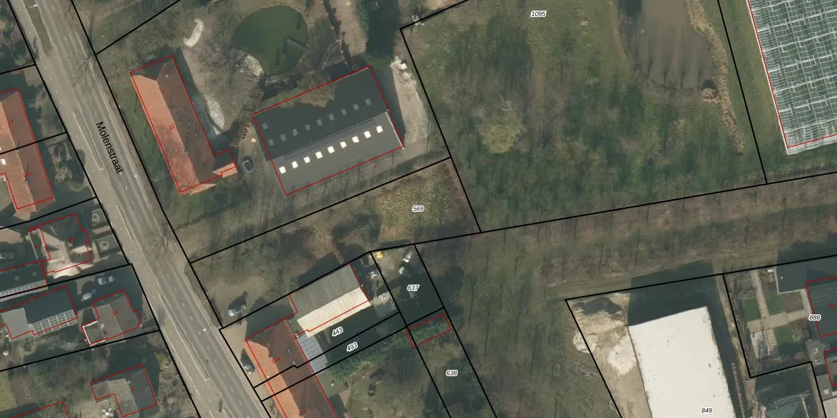
Perceel: BKL05-K-569
KadastraleKaart.com kan meer dan je denktOntdek meer ›
Filter op bestemming 50+ datasets Eigendomsdata in één klik Percelen CRM
1.070 m2 - 171 m
Eigenaar opvragen
BKL05-K-569 (Boekel)
- 5427 PV
xtx1HZGaEwp85yM0Upgrade naar KadastraleKaart Pro
Bekijk op Street View
Download DWG/DXF/Excel
4 Xe fnCUpgrade naar KadastraleKaart Pro
E JQHedB20qElUpgrade naar KadastraleKaart Pro
ITnmcrUaUpgrade naar KadastraleKaart Pro
08WEMn6 WUpgrade naar KadastraleKaart Pro
UV7Zw8cxJeJPUpgrade naar KadastraleKaart Pro
oKzbfR6W0tW3ZSzViwnTUpgrade naar KadastraleKaart Pro
7f25uAABKHtFUpgrade naar KadastraleKaart Pro
jndIwck4fPR4AKu8fNUpgrade naar KadastraleKaart Pro
SmTRUqJEq 8q hTCG91Upgrade naar KadastraleKaart Pro
eGqJ c9R1Upgrade naar KadastraleKaart Pro
18/01/2007

Percelen
Gebruik de zoekbalk of klik op een perceel om informatie over het perceel te bekijken.