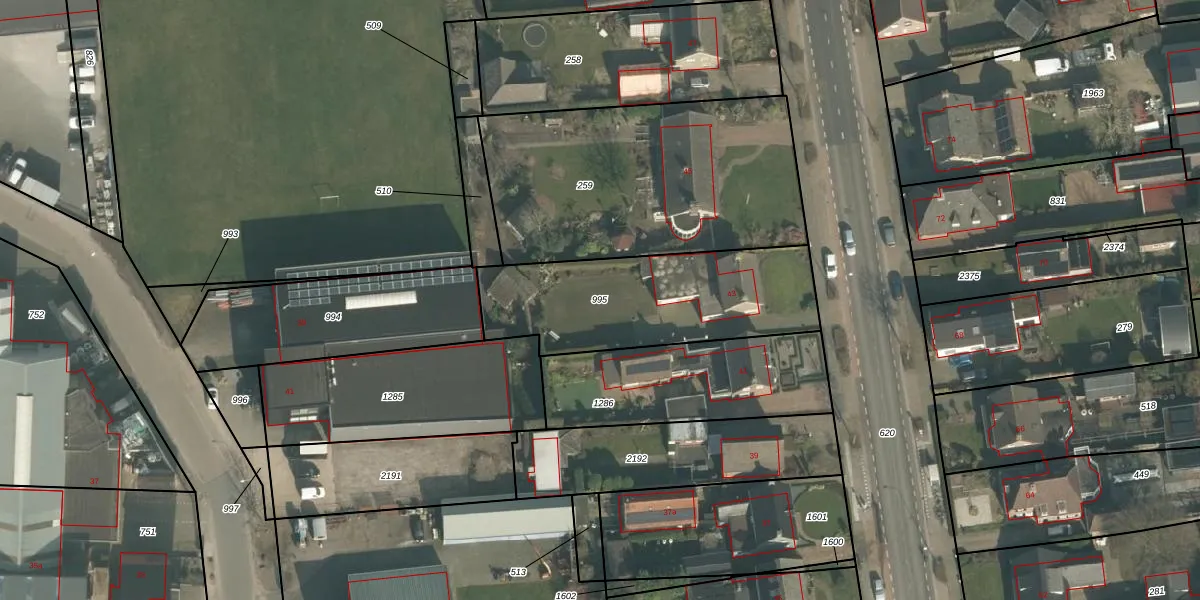
Perceel: BKL05-M-995
KadastraleKaart.com kan meer dan je denktOntdek meer ›
Filter op bestemming 50+ datasets Eigendomsdata in één klik Percelen CRM
795 m2 - 142 m
Eigenaar opvragen
BKL05-M-995 (Boekel)
- 5427 AV
vFrllsWF68nu24o4n9hZ JKsnyde4cUpgrade naar KadastraleKaart Pro
Bekijk op Street View
Download DWG/DXF/Excel
3AoN1yk 6NKPiFBsQUpgrade naar KadastraleKaart Pro
lHZSc lNUpgrade naar KadastraleKaart Pro
N7MCwJOKMcOU6Upgrade naar KadastraleKaart Pro
iewUIuYmEfViIxqVaAUpgrade naar KadastraleKaart Pro
51Qk6xJzKUpgrade naar KadastraleKaart Pro
H63ldFFQ0F8K CUc9S09qhUpgrade naar KadastraleKaart Pro
UB2 hsu2yP9Upgrade naar KadastraleKaart Pro
zE t q 1PLfQEAZt2B5Upgrade naar KadastraleKaart Pro
OnT1b2M1 4wT9ayKeBRs0Upgrade naar KadastraleKaart Pro
uCQ1fzr39OqPuCOoLKUpgrade naar KadastraleKaart Pro
01/05/2014

Percelen
Gebruik de zoekbalk of klik op een perceel om informatie over het perceel te bekijken.