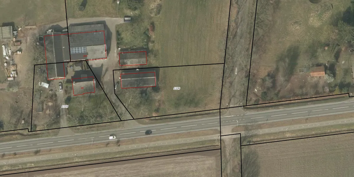
Perceel: BKL06-A-1126
KadastraleKaart.com kan meer dan je denktOntdek meer ›
Filter op bestemming 50+ datasets Eigendomsdata in één klik Percelen CRM
Geen adressen bij dit perceel
1.578 m2 - 169 m
Eigenaar opvragen
BKL06-A-1126 (Borkel en Schaft)
- Geen postcode aanwezig
pb44AxGdU0i9QKemKUpgrade naar KadastraleKaart Pro
Bekijk op Street View
Download DWG/DXF/Excel
4NCDSoJwQ4Upgrade naar KadastraleKaart Pro
U75SZifDGbuymh1HLL Upgrade naar KadastraleKaart Pro
pvlCnI145MVC91Upgrade naar KadastraleKaart Pro
kizZWe3Ttx84L8akAfUpgrade naar KadastraleKaart Pro
6f36n6 psjJSiUpgrade naar KadastraleKaart Pro
6TiOxBVdps8 QUpgrade naar KadastraleKaart Pro
DcLKY2 RAUpgrade naar KadastraleKaart Pro
v4WLrV9074s CMxiVLtm9Upgrade naar KadastraleKaart Pro
3rwmSOeLUpgrade naar KadastraleKaart Pro
fkbMsnXUUUpgrade naar KadastraleKaart Pro
22/06/2007

Percelen
Gebruik de zoekbalk of klik op een perceel om informatie over het perceel te bekijken.