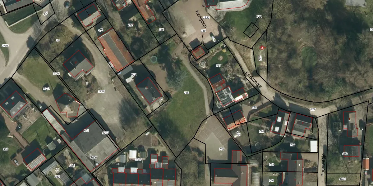
Perceel: BKL08-K-716
KadastraleKaart.com kan meer dan je denktOntdek meer ›
Filter op bestemming 50+ datasets Eigendomsdata in één klik Percelen CRM
Geen adressen bij dit perceel
1.360 m2 - 177 m
Eigenaar opvragen
BKL08-K-716 (Brakel)
- Geen postcode aanwezig
Pfdo5kp0ghh HRnUiiprn WD15qNaUpgrade naar KadastraleKaart Pro
Bekijk op Street View
Download DWG/DXF/Excel
kjmx26fqcbTovQpxf6Upgrade naar KadastraleKaart Pro
vAKVTqlgcxA3C Upgrade naar KadastraleKaart Pro
0VDDpC CSUpgrade naar KadastraleKaart Pro
ltsvB 6tRrxAt 9vUidkUpgrade naar KadastraleKaart Pro
7Iiql2 7 3l56VCTg InbiBUpgrade naar KadastraleKaart Pro
cTyEqCMTceeOx0GFIKRUpgrade naar KadastraleKaart Pro
IkTtRmci6HmY Iz2tgrUpgrade naar KadastraleKaart Pro
6pkC3TGMGWvyUpgrade naar KadastraleKaart Pro
VOT33 MfpjuT pUpgrade naar KadastraleKaart Pro
H vI2Bh818HM0lfUpgrade naar KadastraleKaart Pro
31/10/2023

Percelen
Gebruik de zoekbalk of klik op een perceel om informatie over het perceel te bekijken.