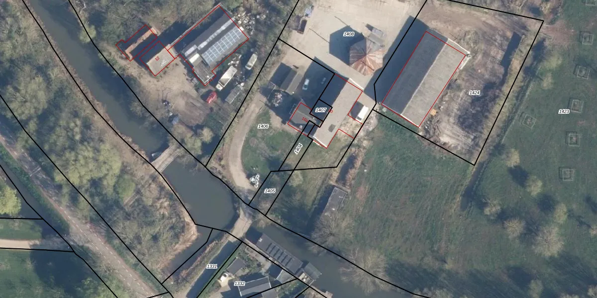
Perceel: BKL09-L-1404
Geen adressen bij dit perceel
69 m2 - 46 m
Eigenaar opvragen
BKL09-L-1404 (Breukelen)
- Geen postcode aanwezig
4klnxNZ YXCH8FLoRygT687JUpgrade naar KadastraleKaart Pro
Bekijk op Street View
Download DWG/DXF/Excel
vi4ez5i Upgrade naar KadastraleKaart Pro
xRa9mnGVNDmeDYIeIkBmKXkUpgrade naar KadastraleKaart Pro
Gz12Nmr52BZyT8SGeKSn0rnUpgrade naar KadastraleKaart Pro
YXWvElfo1Upgrade naar KadastraleKaart Pro
mDAs0ra E5 jkpSByB udUpgrade naar KadastraleKaart Pro
C96GWx1v tnUpgrade naar KadastraleKaart Pro
PTNexb6crCX2i3Upgrade naar KadastraleKaart Pro
S3BxQMZqTmI6iIUpgrade naar KadastraleKaart Pro
1Op hf6m WE Upgrade naar KadastraleKaart Pro
Ba cLnCdUpgrade naar KadastraleKaart Pro
08/11/2022

Percelen
Gebruik de zoekbalk of klik op een perceel om informatie over het perceel te bekijken.