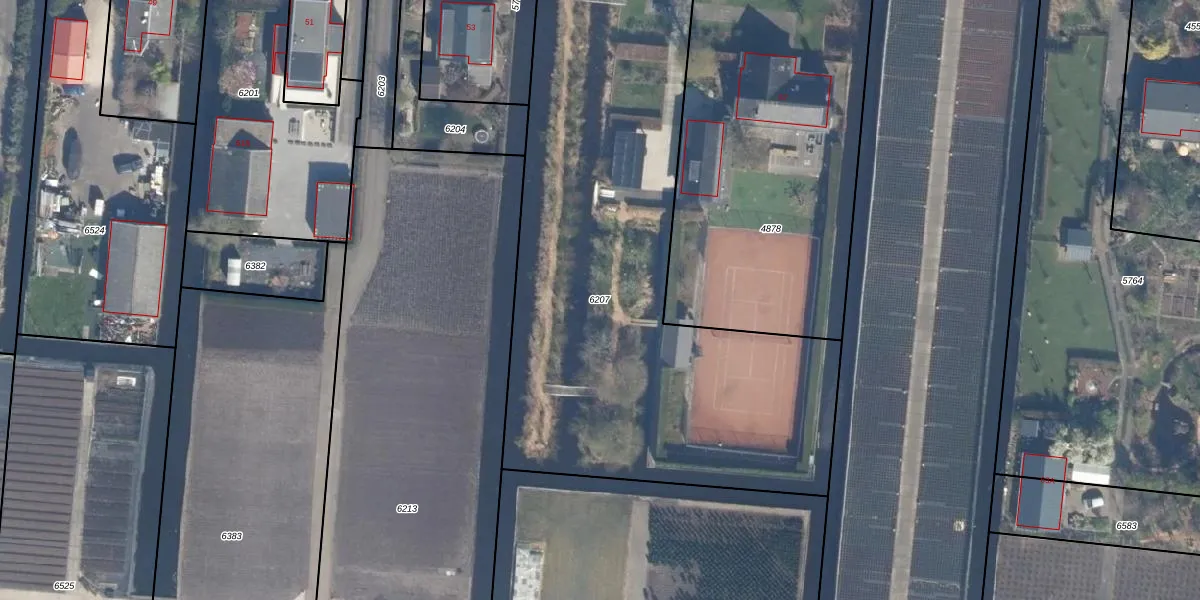
Perceel: BKP00-B-6207
Geen adressen bij dit perceel
3.090 m2 - 290 m
Eigenaar opvragen
BKP00-B-6207 (Boskoop)
- Geen postcode aanwezig
uf1gD5t6PjtRSW8QMaUpgrade naar KadastraleKaart Pro
Bekijk op Street View
Download DWG/DXF/Excel
jE3B1xLvmUpgrade naar KadastraleKaart Pro
beDo6t6hd H1uCbPm SRv XUpgrade naar KadastraleKaart Pro
KLiIiX9qSyz L Y Upgrade naar KadastraleKaart Pro
hDBaTkPEuz2DOfU5Upgrade naar KadastraleKaart Pro
uXT nqXqq34 ZZUpgrade naar KadastraleKaart Pro
cLN KFFt 5 1WZcdzAUpgrade naar KadastraleKaart Pro
jmHaWzWoZYoXJKUpgrade naar KadastraleKaart Pro
PbjaYTe4g Q0wTU13C9ScUpgrade naar KadastraleKaart Pro
IItm3KIU3DeJDh1tigUUpgrade naar KadastraleKaart Pro
CFm nlH6Z HKb352g3OdUpgrade naar KadastraleKaart Pro
27/09/2011

Percelen
Gebruik de zoekbalk of klik op een perceel om informatie over het perceel te bekijken.