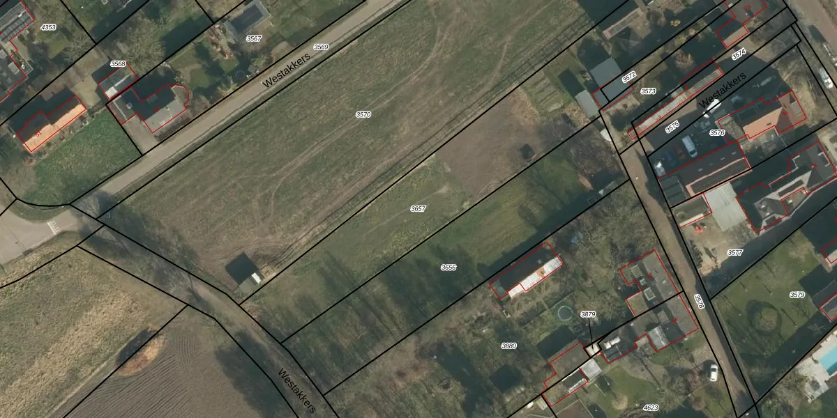
Perceel: BLC00-H-3657
2.170 m2 - 326 m
Eigenaar opvragen
BLC00-H-3657 (Berlicum)
- 5258 KJ
r2VMvTuqBMTDUZmqA6OiUpgrade naar KadastraleKaart Pro
Verkoopprijs opvragen
Bekijk op Street View
Download DWG/DXF/Excel
qJX6zVnsbOGFpZH2cmhaUpgrade naar KadastraleKaart Pro
pn4D 98wOowVTRVrVG0SOmXUpgrade naar KadastraleKaart Pro
SgphmWhntJUpgrade naar KadastraleKaart Pro
CmlbBjhkFFABlRCTayUpgrade naar KadastraleKaart Pro
Idb5MJPyBdBtyXGr7DMMlUpgrade naar KadastraleKaart Pro
815ZXpxvUpgrade naar KadastraleKaart Pro
re FAi hZ5iFHnK1wA xYzGUpgrade naar KadastraleKaart Pro
a9kMK 3S9VOd6cSUpgrade naar KadastraleKaart Pro
zDPMshjjd B1kRyLb TTcyUpgrade naar KadastraleKaart Pro
QMcRLXxtgtUpgrade naar KadastraleKaart Pro
08/06/2010

Percelen
Gebruik de zoekbalk of klik op een perceel om informatie over het perceel te bekijken.