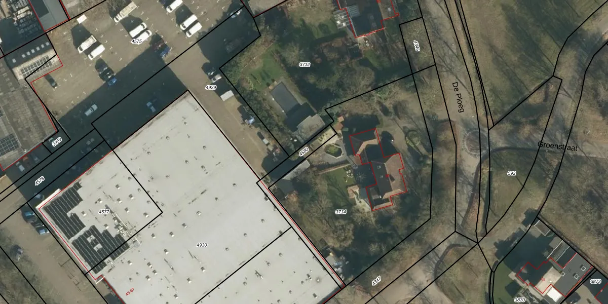
Perceel: BLC00-H-4580
Geen adressen bij dit perceel
193 m2 - 151 m
Eigenaar opvragen
BLC00-H-4580 (Berlicum)
- Geen postcode aanwezig
hPn BH eyc5Vb3gGf mihQBUpgrade naar KadastraleKaart Pro
Bekijk op Street View
Download DWG/DXF/Excel
EpHViw VtIhZwNhmb1mnBiUpgrade naar KadastraleKaart Pro
QZfgn705 J 7xhUpgrade naar KadastraleKaart Pro
4yn3u TdbK0sUpgrade naar KadastraleKaart Pro
y4hprWVJtb75lOUpgrade naar KadastraleKaart Pro
H22Z5bgiAYUpgrade naar KadastraleKaart Pro
CH5 1nJAamqqH EfKu1uUpgrade naar KadastraleKaart Pro
2Ulyxwv i2D4xGW4Upgrade naar KadastraleKaart Pro
sfiUfHaG tVtUpgrade naar KadastraleKaart Pro
ZIsJ57mAJDHUpgrade naar KadastraleKaart Pro
xau zWMkjMC82EjiEUpgrade naar KadastraleKaart Pro
02/07/2018

Percelen
Gebruik de zoekbalk of klik op een perceel om informatie over het perceel te bekijken.