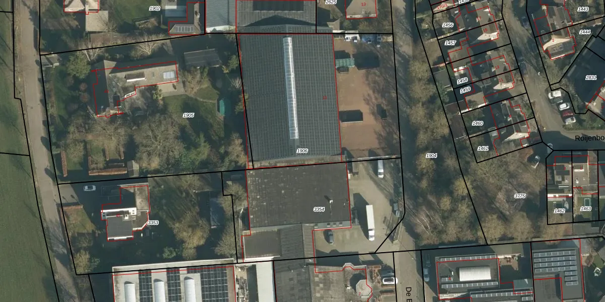
Perceel: BLC00-L-1906
KadastraleKaart.com kan meer dan je denktOntdek meer ›
Filter op bestemming 50+ datasets Eigendomsdata in één klik Percelen CRM
2.180 m2 - 188 m
Eigenaar opvragen
BLC00-L-1906 (Berlicum)
- 5258 BM
6l EYB OVf D9fNrg d IUpgrade naar KadastraleKaart Pro
Bekijk op Street View
Download DWG/DXF/Excel
0QTYaIfXfit tUpgrade naar KadastraleKaart Pro
qZj1bMobRioC0d98ilUpgrade naar KadastraleKaart Pro
A9USVsVh02tfyabUpgrade naar KadastraleKaart Pro
nR3YnpB ZoUZ35FDUpgrade naar KadastraleKaart Pro
drnuv7Xi9NDUpgrade naar KadastraleKaart Pro
PpSyEqFEarLzI0cxQV3 wjtUpgrade naar KadastraleKaart Pro
h597ZI ut O9xylukVUpgrade naar KadastraleKaart Pro
MnvnqwDl gTUpgrade naar KadastraleKaart Pro
X8TK9vH2q SPiUpgrade naar KadastraleKaart Pro
Jj4nyG1TZUpgrade naar KadastraleKaart Pro
25/05/2007

Percelen
Gebruik de zoekbalk of klik op een perceel om informatie over het perceel te bekijken.