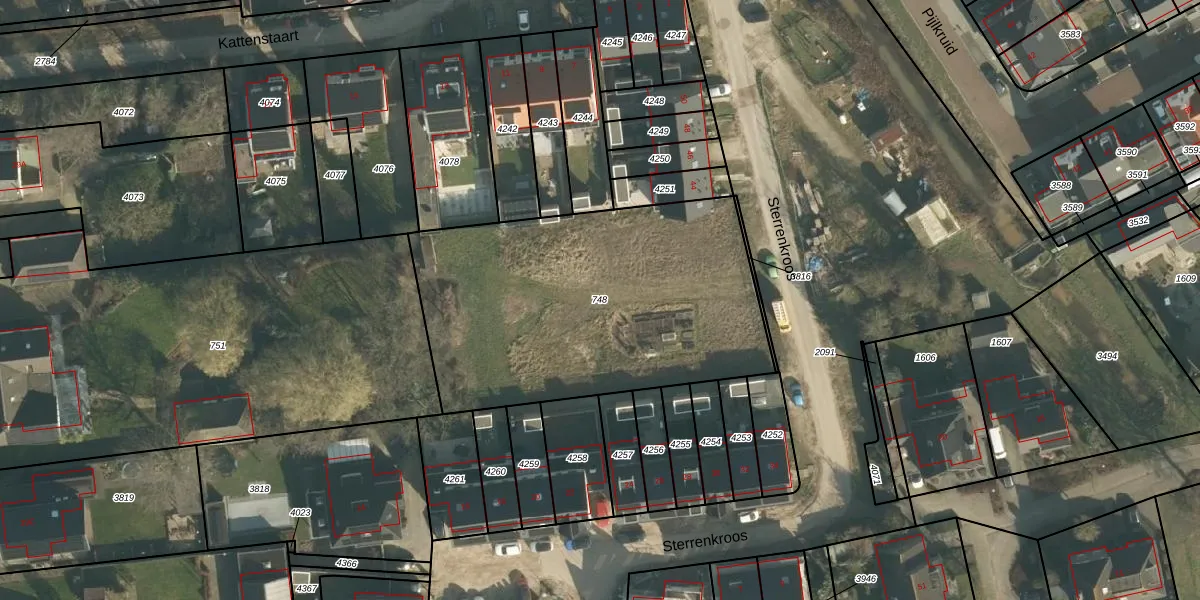
Perceel: BLC00-L-748
KadastraleKaart.com kan meer dan je denktOntdek meer ›
Filter op bestemming 50+ datasets Eigendomsdata in één klik Percelen CRM
Geen adressen bij dit perceel
1.660 m2 - 172 m
Eigenaar opvragen
BLC00-L-748 (Berlicum)
- Geen postcode aanwezig
Fmvo989tl wdTGmZm0 RKMwLLh 1OgaUpgrade naar KadastraleKaart Pro
Bekijk op Street View
Download DWG/DXF/Excel
IJ nEo1fO9SS9n5 k6gUpgrade naar KadastraleKaart Pro
XQLgxgpdrVJOTp8 L2cWT 5Upgrade naar KadastraleKaart Pro
07NPAJ20Upgrade naar KadastraleKaart Pro
T UBr4M iWp0CUpgrade naar KadastraleKaart Pro
1q7 MlJJrGcalm0gk99tiUpgrade naar KadastraleKaart Pro
V1x0oS 6zFkgUpgrade naar KadastraleKaart Pro
O ym02A OYq1qpkMOK7FWFUpgrade naar KadastraleKaart Pro
zKJZrzKO7SSNuJBUpgrade naar KadastraleKaart Pro
dDUuH 1AUpgrade naar KadastraleKaart Pro
ZGPyznWbxVzEYcv5Upgrade naar KadastraleKaart Pro
13/07/2022

Percelen
Gebruik de zoekbalk of klik op een perceel om informatie over het perceel te bekijken.