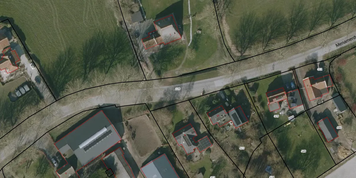
Perceel: BLK00-D-228
KadastraleKaart.com kan meer dan je denktOntdek meer ›
Filter op bestemming 50+ datasets Eigendomsdata in één klik Percelen CRM
Geen adressen bij dit perceel
10.460 m2 - 1.279 m
Eigenaar opvragen
BLK00-D-228 (Berlikum)
- Geen postcode aanwezig
fGC 6zs3 6cn4NKpQU yK45Upgrade naar KadastraleKaart Pro
Bekijk op Street View
Download DWG/DXF/Excel
sgcfOht Upgrade naar KadastraleKaart Pro
uRKYlU l0vK6d 0YI91sLsUpgrade naar KadastraleKaart Pro
S3ci1jTsNoQ1qL6i0IJyUpgrade naar KadastraleKaart Pro
bOX8nTr jW6BdDXyELbUpgrade naar KadastraleKaart Pro
gnvqsSh4YneUpgrade naar KadastraleKaart Pro
REdJj5I LFTUpgrade naar KadastraleKaart Pro
bfDEdrgPtP8Th3yJw Upgrade naar KadastraleKaart Pro
UwFU uzgTlUpgrade naar KadastraleKaart Pro
53L1P5jOZXgkUpgrade naar KadastraleKaart Pro
dkl xkE ACj0NTUpgrade naar KadastraleKaart Pro
05/07/2017

Percelen
Gebruik de zoekbalk of klik op een perceel om informatie over het perceel te bekijken.