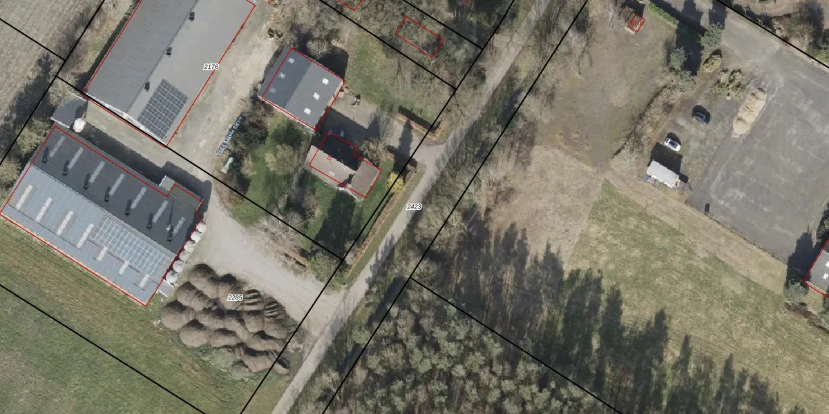
Perceel: BLN00-B-2423
KadastraleKaart.com kan meer dan je denktOntdek meer ›
Filter op bestemming 50+ datasets Eigendomsdata in één klik Percelen CRM
Geen adressen bij dit perceel
7.030 m2 - 979 m
Eigenaar opvragen
BLN00-B-2423 (Beilen)
- Geen postcode aanwezig
gn6T6tlj2 D X6CBZl b1Upgrade naar KadastraleKaart Pro
Bekijk op Street View
Download DWG/DXF/Excel
DYNHH5axF LdONJ4drPM1Upgrade naar KadastraleKaart Pro
Lc38Z33m13qznr 0EulUpgrade naar KadastraleKaart Pro
7j6lb0w Q9shKw u YsXUpgrade naar KadastraleKaart Pro
CdD QOgqPUpgrade naar KadastraleKaart Pro
KrQ G6c BYD2H9CUpgrade naar KadastraleKaart Pro
qleqOXMVz0diwt4WGBnoSUpgrade naar KadastraleKaart Pro
C66buErlLRFeR1YimqjHVUpgrade naar KadastraleKaart Pro
eZ Q bAf1LI x7 WoHvmKUpgrade naar KadastraleKaart Pro
LhB gwyD 9AIFoArL RkRXCUpgrade naar KadastraleKaart Pro
B3PVdfbFv8iVlnd6TASER2pUpgrade naar KadastraleKaart Pro
06/01/2010

Percelen
Gebruik de zoekbalk of klik op een perceel om informatie over het perceel te bekijken.