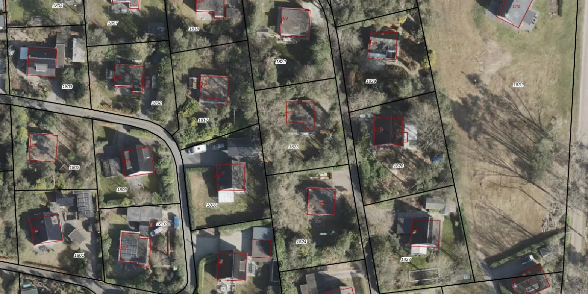
Perceel: BLN00-G-1823
KadastraleKaart.com kan meer dan je denktOntdek meer ›
Filter op bestemming 50+ datasets Eigendomsdata in één klik Percelen CRM
806 m2 - 115 m
Eigenaar opvragen
BLN00-G-1823 (Beilen)
- 9417 TD
t0db0ke eCDQX14SM4 8ok5ASW4UUpgrade naar KadastraleKaart Pro
Verkoopprijs opvragen
Bekijk op Street View
Download DWG/DXF/Excel
KrMomgiS2HL3eQxUpgrade naar KadastraleKaart Pro
DfYR9M 6xHoTjUpgrade naar KadastraleKaart Pro
JCPaq98EkgtU4OpvX7mVnDLUpgrade naar KadastraleKaart Pro
FzOMry1iGTtpmuraUpgrade naar KadastraleKaart Pro
9bPiXGIWpNc8TUpgrade naar KadastraleKaart Pro
DnJL4acdSRkbAUc306gUpgrade naar KadastraleKaart Pro
l7GW3cBRWxFdv vpygtZxUpgrade naar KadastraleKaart Pro
qF X5 WDy uUBUpgrade naar KadastraleKaart Pro
ZePiXAfM7AL3C7q2jbaUpgrade naar KadastraleKaart Pro
0GDQJfX3OAZFalKEKfsUpgrade naar KadastraleKaart Pro
01/02/2000

Percelen
Gebruik de zoekbalk of klik op een perceel om informatie over het perceel te bekijken.