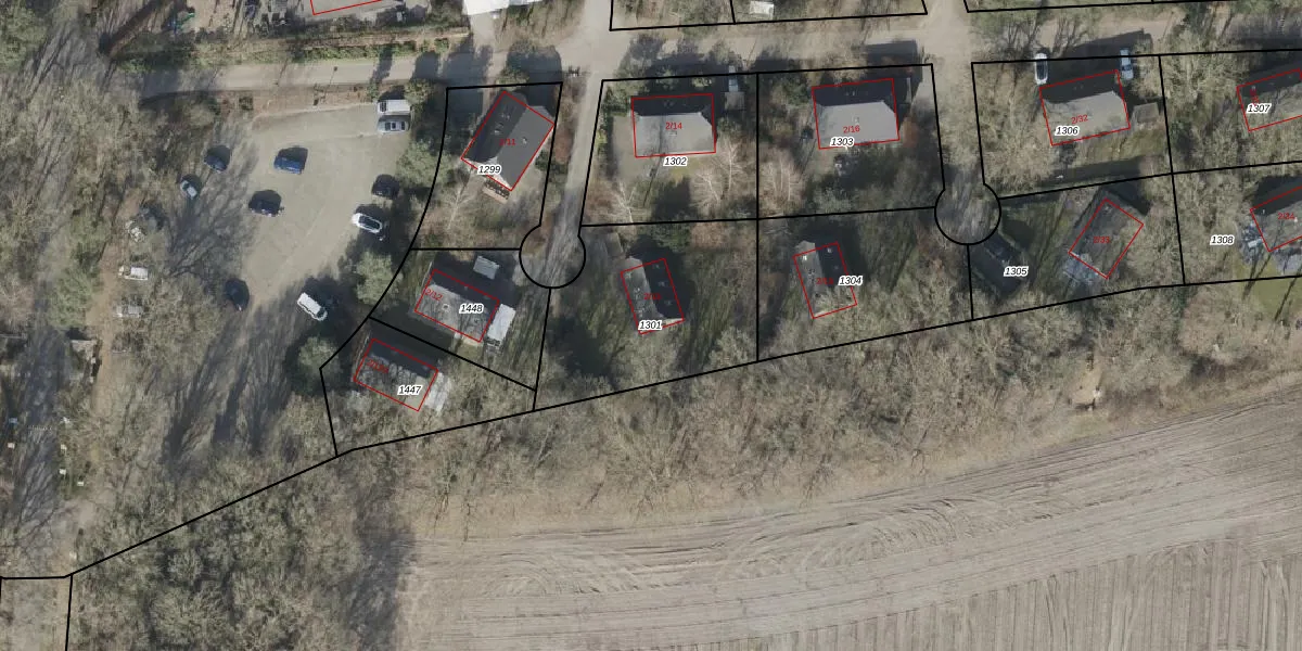
Perceel: BLN00-N-1301
KadastraleKaart.com kan meer dan je denktOntdek meer ›
Filter op bestemming 50+ datasets Eigendomsdata in één klik Percelen CRM
771 m2 - 117 m
Eigenaar opvragen
BLN00-N-1301 (Beilen)
- 9414 AG
aZi9L0nwL WbZmE4Upgrade naar KadastraleKaart Pro
Bekijk op Street View
Download DWG/DXF/Excel
J3v0j 5hnRfcUpgrade naar KadastraleKaart Pro
jkFYi9satUf1dbRw v HXUpgrade naar KadastraleKaart Pro
K Yj1u S2PTAr2DM4Upgrade naar KadastraleKaart Pro
OIBBj6EgCEHXZ2lFUpgrade naar KadastraleKaart Pro
7 OWS06oh Upgrade naar KadastraleKaart Pro
pjTamSH gOSnIy9Upgrade naar KadastraleKaart Pro
s19AXdl2tUJUpgrade naar KadastraleKaart Pro
Br U6ldGFge2NKoL4hUpgrade naar KadastraleKaart Pro
ZLS1fXvK E2 qnDUpgrade naar KadastraleKaart Pro
45bVVVwOiUpgrade naar KadastraleKaart Pro
18/06/2020

Percelen
Gebruik de zoekbalk of klik op een perceel om informatie over het perceel te bekijken.