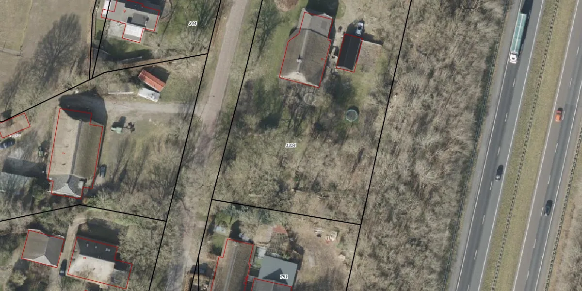
Perceel: BLN00-N-1314
KadastraleKaart.com kan meer dan je denktOntdek meer ›
Filter op bestemming 50+ datasets Eigendomsdata in één klik Percelen CRM
4.817 m2 - 293 m
Eigenaar opvragen
BLN00-N-1314 (Beilen)
- 9414 VK
3 O0E hMhQeUWMxSUpgrade naar KadastraleKaart Pro
Verkoopprijs opvragen
Bekijk op Street View
Download DWG/DXF/Excel
Fi xbTesyrweWSUpgrade naar KadastraleKaart Pro
tLmIp6757Tz 1N1Ib2kn hQUpgrade naar KadastraleKaart Pro
M0blkqojv 5vG mMgrUpgrade naar KadastraleKaart Pro
q gM ZjWPM4JvTUpgrade naar KadastraleKaart Pro
JO KUxSCXNfh5j 1qM4xqUpgrade naar KadastraleKaart Pro
dgOApdFSRsXep4AYEUpgrade naar KadastraleKaart Pro
leh IcC74XTHzTw4yiLx Upgrade naar KadastraleKaart Pro
p rtJLcjLiUpgrade naar KadastraleKaart Pro
Xy4dhrhsBEfyHdMdSYzoUpgrade naar KadastraleKaart Pro
Slx0098Owv3oa ooUpgrade naar KadastraleKaart Pro
11/02/2010

Percelen
Gebruik de zoekbalk of klik op een perceel om informatie over het perceel te bekijken.