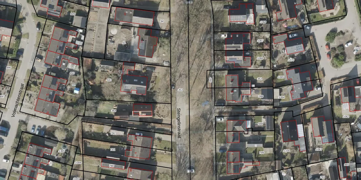
Perceel: BLN00-N-353
KadastraleKaart.com kan meer dan je denktOntdek meer ›
Filter op bestemming 50+ datasets Eigendomsdata in één klik Percelen CRM
Geen adressen bij dit perceel
2.150 m2 - 461 m
Eigenaar opvragen
BLN00-N-353 (Beilen)
- Geen postcode aanwezig
p3e 1aTrrNg6nGghX3d K9BUpgrade naar KadastraleKaart Pro
Bekijk op Street View
Download DWG/DXF/Excel
XuXfGTN 3KhFzlOQDjgUpgrade naar KadastraleKaart Pro
Y6tzCdze3Upgrade naar KadastraleKaart Pro
cV1iFYaEXuiUpgrade naar KadastraleKaart Pro
Mpva2ZzSUpgrade naar KadastraleKaart Pro
B18fEnRpDMighRBVjxyUpgrade naar KadastraleKaart Pro
Cvokrz Lt1iUpgrade naar KadastraleKaart Pro
ivfuw999K EUpgrade naar KadastraleKaart Pro
EDvSNtIaWrdBjAdu rwXUpgrade naar KadastraleKaart Pro
9Ocdu0RZ8FlfUpgrade naar KadastraleKaart Pro
a9OyI 6JHNKDX4OIjxOUpgrade naar KadastraleKaart Pro
15/02/2010

Percelen
Gebruik de zoekbalk of klik op een perceel om informatie over het perceel te bekijken.