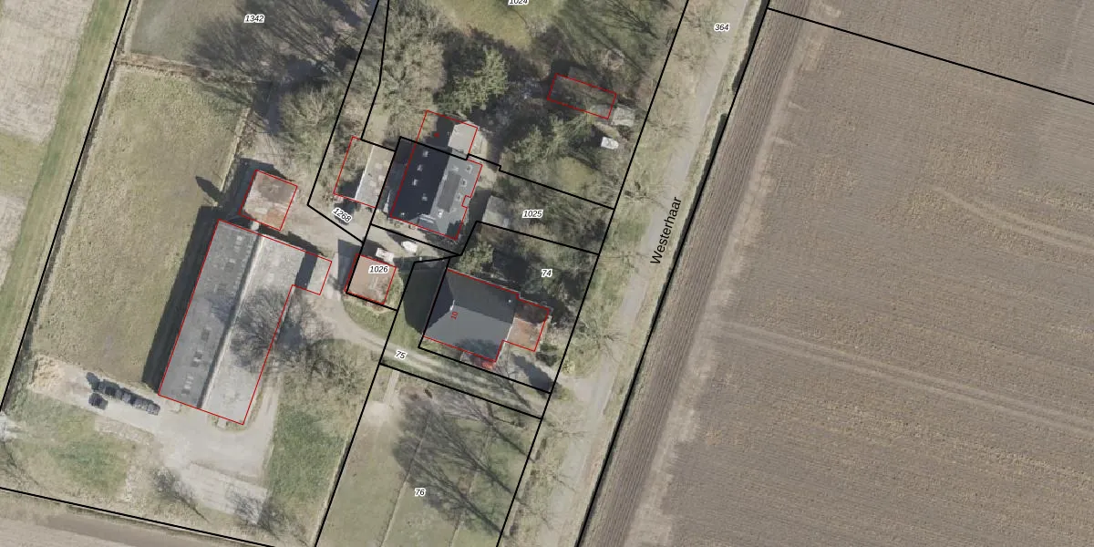
Perceel: BLN00-P-74
KadastraleKaart.com kan meer dan je denktOntdek meer ›
Filter op bestemming 50+ datasets Eigendomsdata in één klik Percelen CRM
645 m2 - 102 m
Eigenaar opvragen
BLN00-P-74 (Beilen)
- 9418 TB
GxefK9m tt 6CEPC6nAwiJ0XEy1OViUpgrade naar KadastraleKaart Pro
Verkoopprijs opvragen
Bekijk op Street View
Download DWG/DXF/Excel
hGfv2mNV5AEYazDUpgrade naar KadastraleKaart Pro
1Qo8i5Tz9q0PW9hQMW25DaUpgrade naar KadastraleKaart Pro
vyqP6Kf u 3Upgrade naar KadastraleKaart Pro
O BxuwUt hwzYUpgrade naar KadastraleKaart Pro
7I2TpDgIacUx3ND1x RJOAUpgrade naar KadastraleKaart Pro
wGLM3tjGMw0YnN8Upgrade naar KadastraleKaart Pro
HWtzrLvioZQVMUpgrade naar KadastraleKaart Pro
S QIqpvUOD2gg4l9lUpgrade naar KadastraleKaart Pro
7rqf7O2r38oNEO 5wzuFUpgrade naar KadastraleKaart Pro
7ZNg cn2pwfQ65PF4Upgrade naar KadastraleKaart Pro
18/03/2003

Percelen
Gebruik de zoekbalk of klik op een perceel om informatie over het perceel te bekijken.