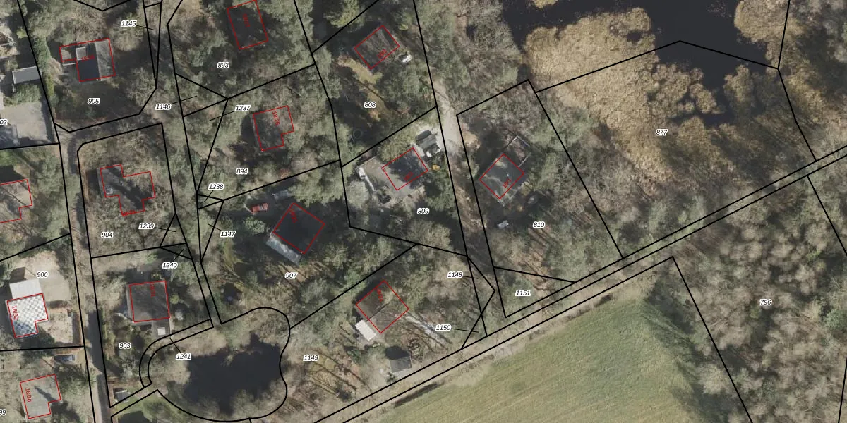
Perceel: BLN00-P-809
KadastraleKaart.com kan meer dan je denktOntdek meer ›
Filter op bestemming 50+ datasets Eigendomsdata in één klik Percelen CRM
639 m2 - 106 m
Eigenaar opvragen
BLN00-P-809 (Beilen)
- 9417 TD
4kzFmyjZzeiEKXf2w8Ztxj4NBAfQsUpgrade naar KadastraleKaart Pro
Verkoopprijs opvragen
Bekijk op Street View
Download DWG/DXF/Excel
jnFxYlY0MAIt1yzUpgrade naar KadastraleKaart Pro
PuzErZQgvANjOMa5mqUpgrade naar KadastraleKaart Pro
z1YLsWckE YPVA0gUpgrade naar KadastraleKaart Pro
m4LOQy22viU MjUpgrade naar KadastraleKaart Pro
fS 5r QgccaUpgrade naar KadastraleKaart Pro
3VAVBdV dLUpgrade naar KadastraleKaart Pro
NN AOnQ664WUBGhbvYvq8Upgrade naar KadastraleKaart Pro
Oc28TMBSimLUpgrade naar KadastraleKaart Pro
x8torr2h QExjnlON6Upgrade naar KadastraleKaart Pro
P6lK0PqfD QVUpgrade naar KadastraleKaart Pro
21/02/2007

Percelen
Gebruik de zoekbalk of klik op een perceel om informatie over het perceel te bekijken.