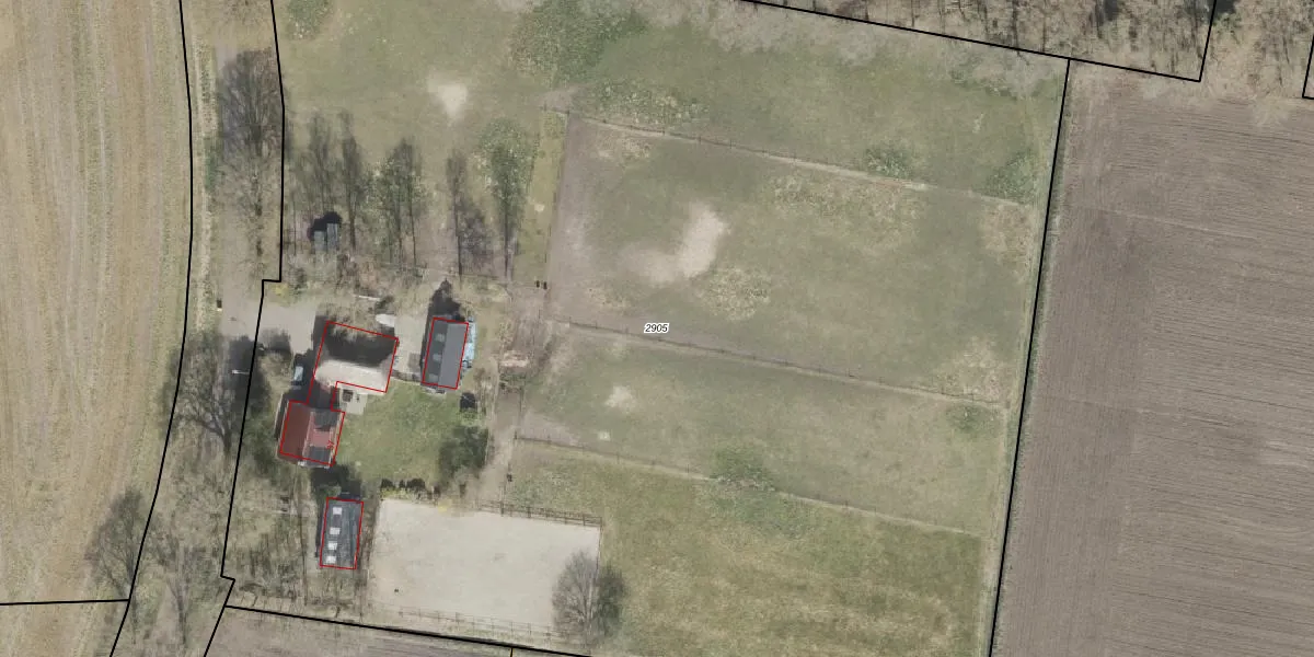
Perceel: BLN00-R-2905
KadastraleKaart.com kan meer dan je denktOntdek meer ›
Filter op bestemming 50+ datasets Eigendomsdata in één klik Percelen CRM
12.105 m2 - 453 m
Eigenaar opvragen
BLN00-R-2905 (Beilen)
- 9411 XK
wCd4o70QCz w2jE 7Upgrade naar KadastraleKaart Pro
Verkoopprijs opvragen
Bekijk op Street View
Download DWG/DXF/Excel
eOhKlzJD 882fM8biA9NjwUpgrade naar KadastraleKaart Pro
Sm5DhprsKZi9zQWY 8wUZUpgrade naar KadastraleKaart Pro
gjrvP1iEUqJ KZbUpgrade naar KadastraleKaart Pro
dl Y2 1oUpgrade naar KadastraleKaart Pro
PJ4gossHFGUpgrade naar KadastraleKaart Pro
s0neGOYfrbwk2eE2NAFUpgrade naar KadastraleKaart Pro
L0DprI gi gIbZrGbMmEePUpgrade naar KadastraleKaart Pro
3NIYa8nN6TmzQtmS0Zxi5Upgrade naar KadastraleKaart Pro
kH K5JvxsjE3O 2Upgrade naar KadastraleKaart Pro
rhA3nBem6Upgrade naar KadastraleKaart Pro
01/12/2017

Percelen
Gebruik de zoekbalk of klik op een perceel om informatie over het perceel te bekijken.