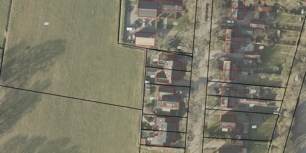
Perceel: BLN00-S-716
KadastraleKaart.com kan meer dan je denktOntdek meer ›
Filter op bestemming 50+ datasets Eigendomsdata in één klik Percelen CRM
312 m2 - 81 m
Eigenaar opvragen
BLN00-S-716 (Beilen)
- 9419 TN
z h4cR10GpSrIOD3 IUpgrade naar KadastraleKaart Pro
Bekijk op Street View
Download DWG/DXF/Excel
TY CES0YiVYfKVbnrYXWZUpgrade naar KadastraleKaart Pro
fPOL9Wm6NUpgrade naar KadastraleKaart Pro
YTAwNCaThUpgrade naar KadastraleKaart Pro
SgioEbUtt7TbC1BzLUpgrade naar KadastraleKaart Pro
QJ87Pqal3B8Upgrade naar KadastraleKaart Pro
uvqyRh3Q0yvUpgrade naar KadastraleKaart Pro
P1b4Vvq9Upgrade naar KadastraleKaart Pro
ImkFlYLmUpgrade naar KadastraleKaart Pro
sj1wB M9TU411X 0fUpgrade naar KadastraleKaart Pro
X4uFMH72ePe4MUpgrade naar KadastraleKaart Pro
17/03/2003

Percelen
Gebruik de zoekbalk of klik op een perceel om informatie over het perceel te bekijken.