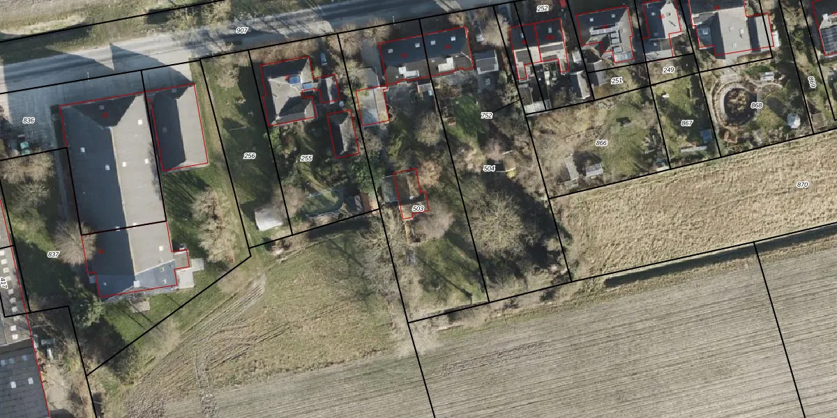
Perceel: BLO00-H-503
KadastraleKaart.com kan meer dan je denktOntdek meer ›
Filter op bestemming 50+ datasets Eigendomsdata in één klik Percelen CRM
1.380 m2 - 181 m
Eigenaar opvragen
BLO00-H-503 (Baflo)
- 9956 PC
bBD R mRhZVs6frpUpgrade naar KadastraleKaart Pro
Bekijk op Street View
Download DWG/DXF/Excel
rGka3Pas 0ruy cdhUBrgVUpgrade naar KadastraleKaart Pro
XSJM5LJ3KivUpgrade naar KadastraleKaart Pro
4qgTuTwjKB udI7mG5LxUpgrade naar KadastraleKaart Pro
h ppeoUoCAAIn5xxtO OjYUpgrade naar KadastraleKaart Pro
Ybn Bvp 67eVQnU HjYYEiUpgrade naar KadastraleKaart Pro
BX XrAfHClWMwrw5fZ9C6Upgrade naar KadastraleKaart Pro
9E HHs RB nnXUpgrade naar KadastraleKaart Pro
qXm7 vO bkYm4pI r Upgrade naar KadastraleKaart Pro
11V0SEpx8 kba hvYVR Upgrade naar KadastraleKaart Pro
n lEroWHCqv Aq UivSD1zUpgrade naar KadastraleKaart Pro
23/10/2000

Percelen
Gebruik de zoekbalk of klik op een perceel om informatie over het perceel te bekijken.