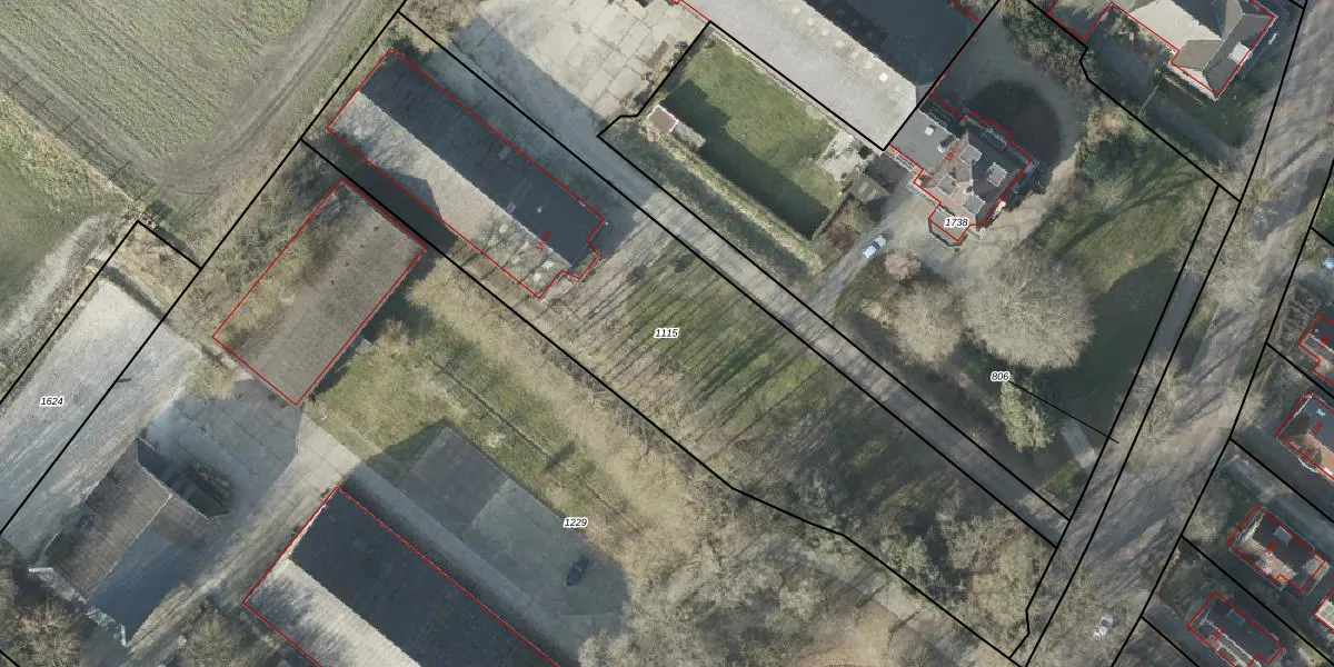
Perceel: BLW00-K-1115
2.940 m2 - 303 m
Eigenaar opvragen
BLW00-K-1115 (Bellingwolde)
- 9695 AE
eY158bVS PWnHBxU3LtMUpgrade naar KadastraleKaart Pro
Bekijk op Street View
Download DWG/DXF/Excel
qwDLUCZJQPJXNgMC4yUpgrade naar KadastraleKaart Pro
38qIFtfhHRR lc1Upgrade naar KadastraleKaart Pro
erbdtGAG0q53WUpgrade naar KadastraleKaart Pro
bHCzyZRvxqEgswUpgrade naar KadastraleKaart Pro
EkrnNKrGFlXZ5BIHUpgrade naar KadastraleKaart Pro
6UlWui JEFm J0oUpgrade naar KadastraleKaart Pro
RW nOwv6z3Upgrade naar KadastraleKaart Pro
Dx FhvuuUqIi5Do0XeUpgrade naar KadastraleKaart Pro
DWr 5q qguXfcdl5m E qSLUpgrade naar KadastraleKaart Pro
MDmJNsa6opHDD Upgrade naar KadastraleKaart Pro
14/11/1997

Percelen
Gebruik de zoekbalk of klik op een perceel om informatie over het perceel te bekijken.