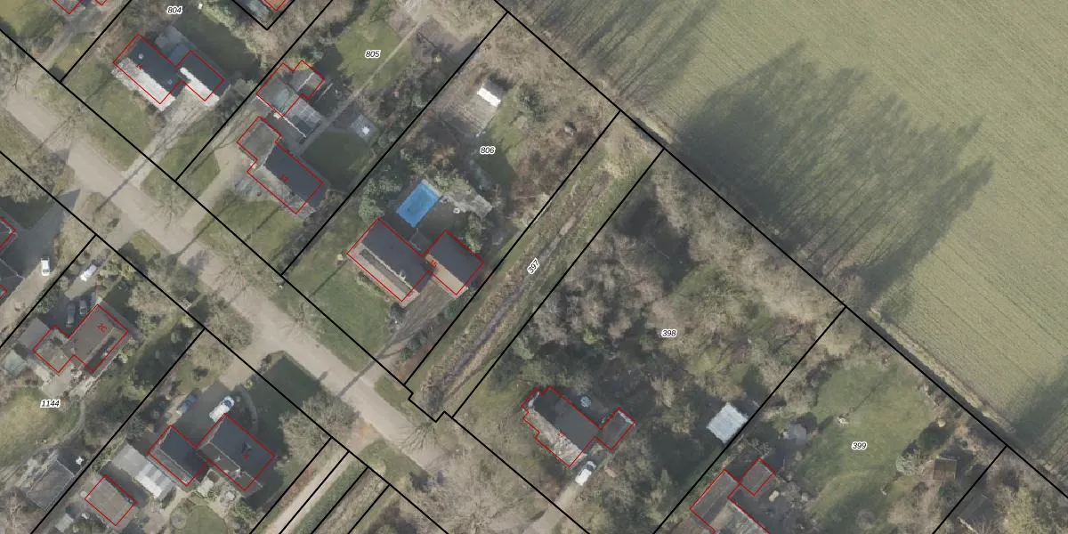
Perceel: BLW00-L-397
Geen adressen bij dit perceel
700 m2 - 155 m
Eigenaar opvragen
BLW00-L-397 (Bellingwolde)
- Geen postcode aanwezig
kd20YLk 6hb9G8dun 2D eSb1mUpgrade naar KadastraleKaart Pro
Bekijk op Street View
Download DWG/DXF/Excel
MSCW bFLiUpgrade naar KadastraleKaart Pro
DbOW J HU LQulwp8Upgrade naar KadastraleKaart Pro
14DL5 X50 4GPq S2siUpgrade naar KadastraleKaart Pro
U8wOQbnUPtUpgrade naar KadastraleKaart Pro
IuO3NZ31pL Upgrade naar KadastraleKaart Pro
4UPBvGW2Upgrade naar KadastraleKaart Pro
9FxiGy6mXZK61C Upgrade naar KadastraleKaart Pro
7vzF3 nQD7I4dMGn5WjiPUpgrade naar KadastraleKaart Pro
LALoC6bOvj0iYUpgrade naar KadastraleKaart Pro
IDooUpo3Upgrade naar KadastraleKaart Pro
14/11/1997

Percelen
Gebruik de zoekbalk of klik op een perceel om informatie over het perceel te bekijken.