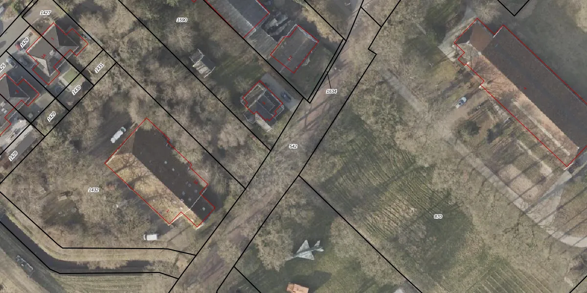
Perceel: BLW00-L-542
Geen adressen bij dit perceel
1.880 m2 - 344 m
Eigenaar opvragen
BLW00-L-542 (Bellingwolde)
- Geen postcode aanwezig
2Z9FBi uoG P8Aka RqZfCV3SWsKgo Upgrade naar KadastraleKaart Pro
Bekijk op Street View
Download DWG/DXF/Excel
NgYba hSln5rqnUpgrade naar KadastraleKaart Pro
KkpW7tNg7UUpgrade naar KadastraleKaart Pro
O L8EWqdE hJqHRa6ldZ CUpgrade naar KadastraleKaart Pro
C1Qf7zFtOBGYUpgrade naar KadastraleKaart Pro
UJID U54mUpgrade naar KadastraleKaart Pro
miGK4 eNUpgrade naar KadastraleKaart Pro
FUHBdiNAR1LBSFzy2XsOSgUpgrade naar KadastraleKaart Pro
F3YAajNfz1Upgrade naar KadastraleKaart Pro
TseotWNmNTRxIcIkFUpgrade naar KadastraleKaart Pro
Tu2cOnc FtUpgrade naar KadastraleKaart Pro
23/04/2013

Percelen
Gebruik de zoekbalk of klik op een perceel om informatie over het perceel te bekijken.