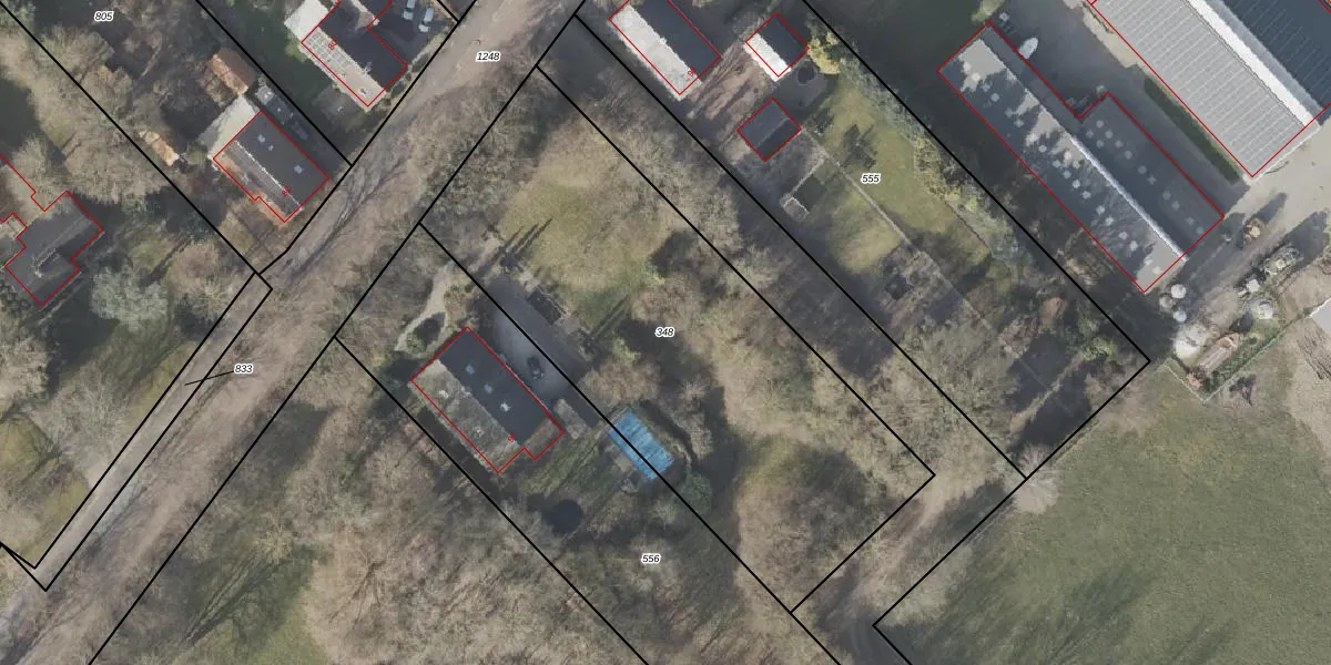
Perceel: BLW00-N-348
Geen adressen bij dit perceel
2.465 m2 - 226 m
Eigenaar opvragen
BLW00-N-348 (Bellingwolde)
- Geen postcode aanwezig
H60yVZA62Vjbuf15i1 zTFCUMiWUpgrade naar KadastraleKaart Pro
Bekijk op Street View
Download DWG/DXF/Excel
EKJJbF9iw62bEY2 oUUpgrade naar KadastraleKaart Pro
HCzMToI7I pFQryb7l7Upgrade naar KadastraleKaart Pro
rStMhEnhbBb2MQkE lUpgrade naar KadastraleKaart Pro
T4khxzjjhIgi Upgrade naar KadastraleKaart Pro
wlukWPsuOVPTgA fv3jUpgrade naar KadastraleKaart Pro
TOKwxfIkoMYEZGQP n A2Upgrade naar KadastraleKaart Pro
CWj8tg3GSRS13WE2k7Km5Upgrade naar KadastraleKaart Pro
9grGMm m kSox1 nUpgrade naar KadastraleKaart Pro
ZVAFp9lkuMKUpgrade naar KadastraleKaart Pro
ecIRvtzwKMUpgrade naar KadastraleKaart Pro
14/11/1997

Percelen
Gebruik de zoekbalk of klik op een perceel om informatie over het perceel te bekijken.