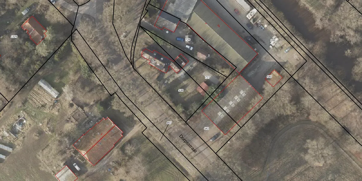
Perceel: BLW00-N-538
944 m2 - 140 m
Eigenaar opvragen
BLW00-N-538 (Bellingwolde)
- 9699 PA
YJrAOGiKZEpF910ETneNm hRUg 7VUpgrade naar KadastraleKaart Pro
Verkoopprijs opvragen
Bekijk op Street View
Download DWG/DXF/Excel
MTZOAGdSAQfUpgrade naar KadastraleKaart Pro
VrBLNlROUpgrade naar KadastraleKaart Pro
iGWWnPuFrHJa Hf49Upgrade naar KadastraleKaart Pro
jH14EgJte2pUpgrade naar KadastraleKaart Pro
ocT4L dN7s3drNit7CSQUpgrade naar KadastraleKaart Pro
09Ly7WhEuCRBUpgrade naar KadastraleKaart Pro
gd8sFeMGJ3U vUpgrade naar KadastraleKaart Pro
P Y4Ffv0SdyvMBhLUpgrade naar KadastraleKaart Pro
CJYegwmzliUpgrade naar KadastraleKaart Pro
TA xyy RAy5BFTKUpgrade naar KadastraleKaart Pro
14/11/1997

Percelen
Gebruik de zoekbalk of klik op een perceel om informatie over het perceel te bekijken.