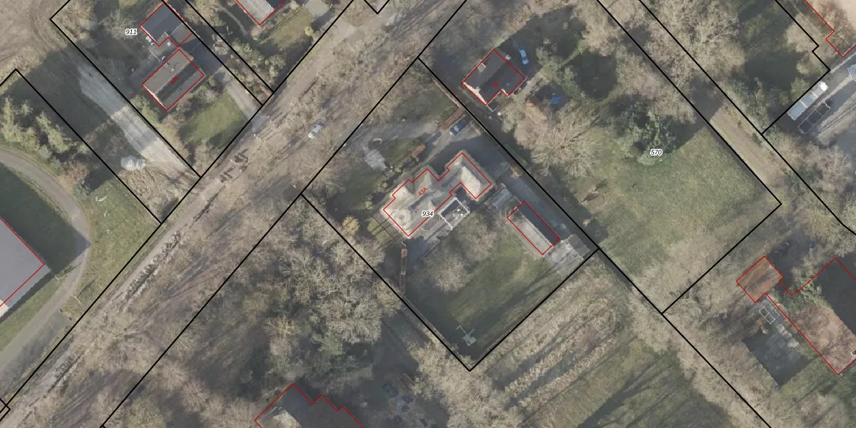
Perceel: BLW00-N-934
2.478 m2 - 202 m
Eigenaar opvragen
BLW00-N-934 (Bellingwolde)
- 9699 PB
NV57YsH43gOR99UUXXUpgrade naar KadastraleKaart Pro
Verkoopprijs opvragen
Bekijk op Street View
Download DWG/DXF/Excel
l0 RG29Gy2gcblqbUpgrade naar KadastraleKaart Pro
W uNr6zMt7KhsUcCKeKE7Upgrade naar KadastraleKaart Pro
MOwEveKFwtxJCIjU Upgrade naar KadastraleKaart Pro
ZmI7dHWgk vhTuvYqtxUpgrade naar KadastraleKaart Pro
iwXUDlsWomqp SiVUpgrade naar KadastraleKaart Pro
BY1yiRAEuaCGqBUpgrade naar KadastraleKaart Pro
sUdBoTEq701lWksmUpgrade naar KadastraleKaart Pro
Qg E1tblkyM05vSq1xrMVlIUpgrade naar KadastraleKaart Pro
jgbN5A2MnE1UAp0uUpgrade naar KadastraleKaart Pro
RtAEGTv8iMF3d0clvUpgrade naar KadastraleKaart Pro
11/11/2002

Percelen
Gebruik de zoekbalk of klik op een perceel om informatie over het perceel te bekijken.