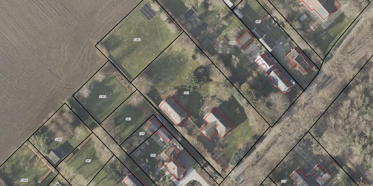
Perceel: BLW00-N-942
2.730 m2 - 219 m
Eigenaar opvragen
BLW00-N-942 (Bellingwolde)
- 9699 PH
Jp5w7c4u34XV2oWThrUpgrade naar KadastraleKaart Pro
Bekijk op Street View
Download DWG/DXF/Excel
nacvyPrLkUpgrade naar KadastraleKaart Pro
FexcrljocAq x5B6sh3FUpgrade naar KadastraleKaart Pro
hCi2Lb2EEI7rHtDFWUUpgrade naar KadastraleKaart Pro
z2zsrQaEOjxnApWlg wUpgrade naar KadastraleKaart Pro
qjX9fKUOrvUpgrade naar KadastraleKaart Pro
dQXSChBsajUpgrade naar KadastraleKaart Pro
FFRYyaPkbQUVdzdpUpgrade naar KadastraleKaart Pro
dz NZCASH2mSTB6EHpUpgrade naar KadastraleKaart Pro
QlXc1hwvUpgrade naar KadastraleKaart Pro
kyxeTGlDp7 0da93ldD6Y6Upgrade naar KadastraleKaart Pro
09/01/2007

Percelen
Gebruik de zoekbalk of klik op een perceel om informatie over het perceel te bekijken.